Se Connecter/S’inscrire
Votre courriel a été envoyé.
Certaines informations ont été traduites automatiquement.
Faits saillants de l'investissement
- De grands projets de développement se déroulent partout dans la région.
Résumé de l'annonce
Une excellente occasion pour un investisseur aussi ! Possibilité de financement du vendeur. Ne manquez pas cette occasion de vous emparer de terrains industriels convoités dans le sud de la Californie le long de l'autoroute i10.
Faits sur la propriété
| Type de vente | Investissement | Sous-type de propriété | Terrain industriel |
| Nombre de lots | 1 | Taille totale du lot | 1,20 AC |
| Type de propriété | Terrain | ||
| Zonage | CM - Commerciale | ||
| Type de vente | Investissement |
| Nombre de lots | 1 |
| Type de propriété | Terrain |
| Sous-type de propriété | Terrain industriel |
| Taille totale du lot | 1,20 AC |
| Zonage | CM - Commerciale |
1 Lot disponible
Lot
| Taille du lot | 1,20 AC |
| Taille du lot | 1,20 AC |
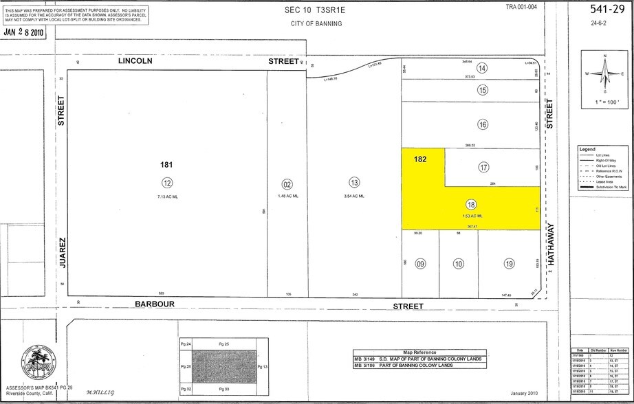
Lot de 1,2 ac en forme de « L ».
Description
La propriété est une terre brute et elle est à l'origine d'un nouveau projet de camionnage qui est actuellement au service de la planification.
1 1
Impôts fonciers
| Numéro de lot | 541-290-018 | Évaluation des bâtiments | 0 $ CAD |
| Évaluation du terrain | 105 363 $ CAD | Évaluation totale | 105 363 $ CAD |
Impôts fonciers
Numéro de lot
541-290-018
Évaluation du terrain
105 363 $ CAD
Évaluation des bâtiments
0 $ CAD
Évaluation totale
105 363 $ CAD
1 de 5
Vidéos
Visite extérieure 3D Matterport
Visite 3D Matterport
Photos
Vue depuis la rue
Rue
Carte
1 de 1
Présenté par
515 S Hathaway St
Vous êtes déjà membre? Connectez-vous
Hmm, il semble y avoir eu une erreur lors de l’envoi de votre message. Veuillez réessayer.
Merci! Votre message a été envoyé.
Votre message a été envoyé !
Activez votre compte LoopNet dès maintenant pour suivre les propriétés, recevoir des alertes en temps réel, gagner du temps sur vos demandes futures et bien plus encore.



