Votre courriel a été envoyé.
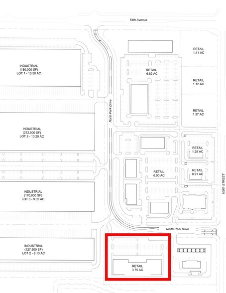
5150 100th St - Center Pointe Retail 3.75 AC Lot • Terrain commercial • 3,75 Acres • Urbandale, IA 50322


Certaines informations ont été traduites automatiquement.
Faits saillants de l'investissement
- Immediate Interstate Access
- Part of Center Pointe Business Park
- Nearby Retail & Medical
Faits sur la propriété
| Type de vente | Investissement ou propriétaire utilisateur | Sous-type de propriété | Terrain commercial |
| Nombre de lots | 1 | Utilisation proposée | Commercial |
| Type de propriété | Terrain | Taille totale du lot | 3,77 AC |
| Type de vente | Investissement ou propriétaire utilisateur |
| Nombre de lots | 1 |
| Type de propriété | Terrain |
| Sous-type de propriété | Terrain commercial |
| Utilisation proposée | Commercial |
| Taille totale du lot | 3,77 AC |
1 Lot disponible
Lot
| Taille du lot | 3,75 AC |
| Taille du lot | 3,75 AC |
Prime retail lot available for purchase and build, offering immediate access to the interstate. Surrounded by thriving businesses, including restaurants, medical offices, and other high-traffic amenities, perfect for your next commercial development.
Description
Terrain commercial de premier choix disponible à l'achat et à la construction, offrant un accès immédiat à l'autoroute. Entouré d'entreprises florissantes, notamment des restaurants, des cabinets médicaux et d'autres commodités à fort achalandage, idéal pour votre prochain projet de développement commercial. Les plans du site sont sujets à modification.
Impôts fonciers
| Numéro de lot | 312/00352-900-003 | Évaluation des bâtiments | 0 $ CAD |
| Évaluation du terrain | 10 678 $ CAD | Évaluation totale | 10 678 $ CAD |
Impôts fonciers
Présenté par
5150 100th St - Center Pointe Retail 3.75 AC
Hmm, il semble y avoir eu une erreur lors de l’envoi de votre message. Veuillez réessayer.
Merci! Votre message a été envoyé.

