Se Connecter/S’inscrire
Votre courriel a été envoyé.
5210 SW Lee Blvd - Boyles Landing Lots • Terrain commercial • 1,01-1,19 Acre • 270 763 $-319 019 $ CAD par lot • Lawton, OK 73505


Certaines informations ont été traduites automatiquement.
Faits saillants de l'investissement
- Beaucoup de nouvelles constructions résidentielles dans la région et la propriété se trouvent également près de l'usine Goodyear et de la zone industrielle.
Résumé de l'annonce
Ces terrains sont situés près du Southwestern Medical Center et sont adjacents à plusieurs cliniques médicales le long du boulevard Lee. Certains lots sont également situés le long de la 52e rue SW et à proximité de deux banques et d'un dépanneur très fréquenté. Excellents chantiers pour les cliniques médicales ou les restaurants. Beaucoup de nouvelles constructions résidentielles dans la région et la propriété se trouvent également à proximité de l'usine et de la zone industrielle de Goodyear.
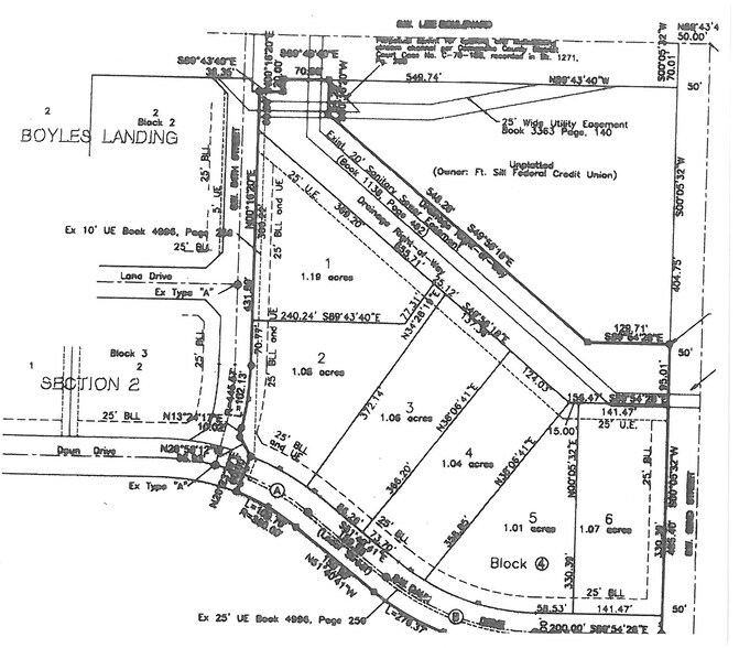
Il y a 6 lots au total et chacun a été planté et chacun a une superficie d'un peu plus d'un acre et son prix est évalué séparément.
Il y a 6 lots au total et chacun a été planté et chacun a une superficie d'un peu plus d'un acre et son prix est évalué séparément.
Faits sur la propriété
6 Lots disponibles
Lot 1
| Prix | 319 019 $ CAD | Taille du lot | 1,19 AC |
| Prix par AC | 268 083,06 $ CAD |
| Prix | 319 019 $ CAD |
| Prix par AC | 268 083,06 $ CAD |
| Taille du lot | 1,19 AC |
Lot 2
| Prix | 289 530 $ CAD | Taille du lot | 1,08 AC |
| Prix par AC | 268 083,34 $ CAD |
| Prix | 289 530 $ CAD |
| Prix par AC | 268 083,34 $ CAD |
| Taille du lot | 1,08 AC |
Lot 3
| Prix | 284 168 $ CAD | Taille du lot | 1,06 AC |
| Prix par AC | 268 082,58 $ CAD |
| Prix | 284 168 $ CAD |
| Prix par AC | 268 082,58 $ CAD |
| Taille du lot | 1,06 AC |
Lot 4
| Prix | 278 806 $ CAD | Taille du lot | 1,04 AC |
| Prix par AC | 268 083,10 $ CAD |
| Prix | 278 806 $ CAD |
| Prix par AC | 268 083,10 $ CAD |
| Taille du lot | 1,04 AC |
Lot 5
| Prix | 270 763 $ CAD | Taille du lot | 1,01 AC |
| Prix par AC | 268 082,56 $ CAD |
| Prix | 270 763 $ CAD |
| Prix par AC | 268 082,56 $ CAD |
| Taille du lot | 1,01 AC |
Lot 6
| Prix | 286 848 $ CAD | Taille du lot | 1,07 AC |
| Prix par AC | 268 082,32 $ CAD |
| Prix | 286 848 $ CAD |
| Prix par AC | 268 082,32 $ CAD |
| Taille du lot | 1,07 AC |
Description
Près du Southwestern Medical Center et à proximité de plusieurs cliniques médicales le long du boulevard Lee. Certains lots sont également situés le long de la 52e rue sud-ouest et près de deux rives et d'un dépanneur achalandé.
1 1
1 de 3
Vidéos
Visite extérieure 3D Matterport
Visite 3D Matterport
Photos
Vue depuis la rue
Rue
Carte
1 de 1
Présenté par
5210 SW Lee Blvd - Boyles Landing
Vous êtes déjà membre? Connectez-vous
Hmm, il semble y avoir eu une erreur lors de l’envoi de votre message. Veuillez réessayer.
Merci! Votre message a été envoyé.
Votre message a été envoyé !
Activez votre compte LoopNet dès maintenant pour suivre les propriétés, recevoir des alertes en temps réel, gagner du temps sur vos demandes futures et bien plus encore.
