Se Connecter/S’inscrire
Votre courriel a été envoyé.
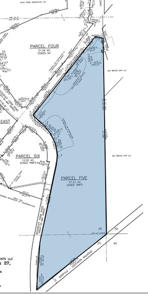
5260 Woodruff Farm rd
Columbus, GA 31907
Parcel 5 · Terrain À vendre
·
57,53 AC


Certaines informations ont été traduites automatiquement.
Faits saillants de l'investissement
- Zoned RMF2 – suitable for a range of housing types
- Strong traffic counts and community visibility
- Located in a high-demand growth corridor
- Prime corner lot at Woodruff Farm Rd. & Macon Rd.
- Minutes to Fort Benning and Uptown Columbus
Résumé de l'annonce
Position your next residential development in one of Columbus, Georgia’s most accessible and growing corridors. Located at the intersection of Woodruff Farm Road and Macon Road, this high-visibility parcel is zoned RMF2 (Residential Multi-Family 2)—allowing for a range of housing types, making it well-suited for developers targeting Columbus’s increasing demand for attainable housing, workforce housing, or small-scale residential communities.
As Georgia’s second-largest city, Columbus offers a strong economic base anchored by major employers like Aflac, TSYS, Coca-Cola, Pratt & Whitney, Kia, Hyundai, and Synovus. Nearby Fort Benning, one of the largest military installations in the U.S., brings a consistent influx of military personnel, civilian employees, and their families—fueling steady residential demand.
This site is conveniently located just minutes from Uptown Columbus, the city's cultural and commercial core, and is surrounded by established residential neighborhoods, schools, and transit corridors—offering a unique opportunity to deliver housing that meets both market demand and community needs.
As Georgia’s second-largest city, Columbus offers a strong economic base anchored by major employers like Aflac, TSYS, Coca-Cola, Pratt & Whitney, Kia, Hyundai, and Synovus. Nearby Fort Benning, one of the largest military installations in the U.S., brings a consistent influx of military personnel, civilian employees, and their families—fueling steady residential demand.
This site is conveniently located just minutes from Uptown Columbus, the city's cultural and commercial core, and is surrounded by established residential neighborhoods, schools, and transit corridors—offering a unique opportunity to deliver housing that meets both market demand and community needs.
Faits sur la propriété
| Type de vente | Investissement ou propriétaire utilisateur | Sous-type de propriété | Résidentiel |
| Nombre de lots | 1 | Taille totale du lot | 57,53 AC |
| Type de propriété | Terrain | ||
| Zonage | RMF2 - Residential Multi-Family | ||
| Type de vente | Investissement ou propriétaire utilisateur |
| Nombre de lots | 1 |
| Type de propriété | Terrain |
| Sous-type de propriété | Résidentiel |
| Taille totale du lot | 57,53 AC |
| Zonage | RMF2 - Residential Multi-Family |
1 Lot disponible
Lot Parcel 5
| Prix | 3 971 132 $ CAD | Taille du lot | 57,53 AC |
| Prix par AC | 69 027,14 $ CAD |
| Prix | 3 971 132 $ CAD |
| Prix par AC | 69 027,14 $ CAD |
| Taille du lot | 57,53 AC |
This parcel is raw land located at the corner of Macon Road and Woodruff Farm Road. It is a part of a Portfolio of parcels adjacent to Woodruff Farm Rd.
Description
This parcel is raw land located at the corner of Macon Road and Woodruff Farm Road. It is a part of a Portfolio of parcels adjacent to Woodruff Farm Rd.
1 de 6
Vidéos
Visite extérieure 3D Matterport
Visite 3D Matterport
Photos
Vue depuis la rue
Rue
Carte
