Se Connecter/S’inscrire
Votre courriel a été envoyé.
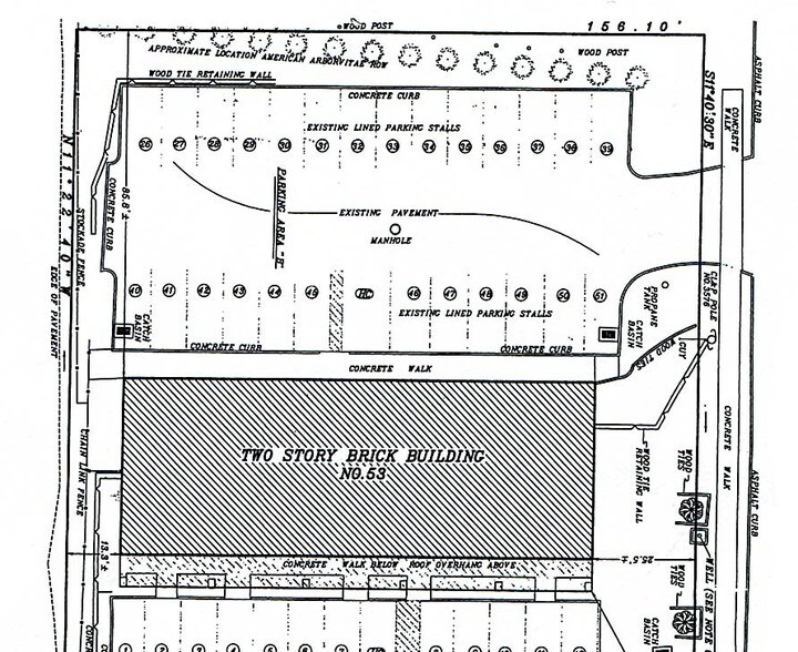
53 Lake Avenue Ext
Danbury, CT 06811
The Hyatt Building · Bureau/Commerce de détail Propriété À louer
·
2 500 pi²


Certaines informations ont été traduites automatiquement.
Aperçu de la propriété
Excellent emplacement Westside ! Parmi les utilisations possibles, mentionnons le commerce de détail, le bureau et le médical. Excellente signalisation et accès facile à l'I-84.
- Affichage
- Climatisation
Faits sur la propriété
Type de bâtiment
Bureau
Année de construction
1979
Hauteur du bâtiment
2 étages
Taille du bâtiment
10 797 pi²
Classe d’immeuble
B
Superficie de plancher typique
5 398 pi²
Stationnement
Stationnement Surface
Stationnement Couvert
1 de 4
Vidéos
Visite extérieure 3D Matterport
Visite 3D Matterport
Photos
Vue depuis la rue
Rue
Carte
