Votre courriel a été envoyé.
5350 29th St - Tinker AFB Commercial Infill Lot Lot • Terrain commercial • 0,49 Acres • 132 787 $ CAD • Del City, OK 73115



Certaines informations ont été traduites automatiquement.
Faits sur la propriété
1 Lot disponible
Lot
| Prix | 132 787 $ CAD | Taille du lot | 0,49 AC |
| Prix par AC | 269 033,58 $ CAD |
| Prix | 132 787 $ CAD |
| Prix par AC | 269 033,58 $ CAD |
| Taille du lot | 0,49 AC |
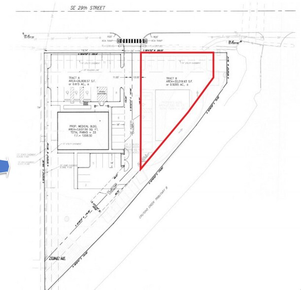
140' Frontage along SE 29th near Tinker AFB
Description
Prime Commercial Lot Near Tinker AFB & I-40 5350 SE 29th Street | Del City | 73115 Excellent 0.50± acre commercial parcel zoned PUD A-C, ideally located adjacent to Tinker Air Force Base and just ½ mile from Interstate 40. The site offers approximately 140 feet of frontage, providing strong visibility and access in a high-demand military and industrial corridor. Offered at only $5.75 per square foot, this property presents a compelling opportunity for office, service commercial, light industrial, or other permitted PUD uses (verify).
Impôts fonciers
| Numéro de lot | 211271022 | Évaluation des bâtiments | 0 $ CAD |
| Évaluation du terrain | 38 794 $ CAD | Évaluation totale | 38 794 $ CAD |
Impôts fonciers
Présenté par
5350 29th St - Tinker AFB Commercial Infill Lot
Hmm, il semble y avoir eu une erreur lors de l’envoi de votre message. Veuillez réessayer.
Merci! Votre message a été envoyé.
