Se Connecter/S’inscrire
Votre courriel a été envoyé.
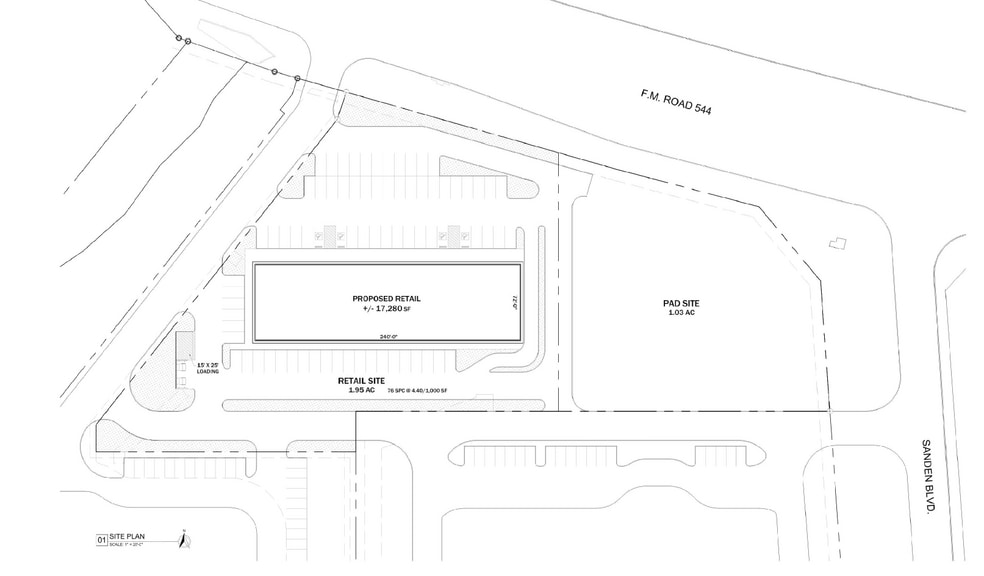
Shops at FM 544 - 1.03 AC Pad Site 544 E SWQ of FM 544 and Sanden Blvd. Terrain à louer de 1,03 acres • Terrain commercial • Wylie, TX 75098



Certaines informations ont été traduites automatiquement.
FAITS SAILLANTS
- Shops at FM 544 is a well-positioned retail opportunity located in the heart of Wylie, one of the Dallas metro’s fastest-growing suburban markets.
- Situated directly in front of La Quinta Inn and Holiday Inn Express, the center benefits from consistent local and commuter demand.
- The area is supported by robust demographics, with 85,266 residents within a 3-mile radius and an auent average household income of $164,105.
- The property features a highly visible pad site and retail strip space, strategically located at the intersection of FM 544 and Sanden.
- Located at the SWQ of FM 544 and Sanden, the site oers exceptional visibility with daily trac counts exceeding 31,533 vehicles (TXDOT 2024).
- A daytime population of 35,269 provides strong support for daily retail activity, bolstered by the property’s proximity to high-demand generators.
LOT Disponible
Afficher les taux de location en
| Taux de location |
|
Taille du lot | 1,03 AC |
| Durée du bail | Négociable |
| Taux de location | |
| Durée du bail | Négociable |
| Taille du lot | 1,03 AC |
FAITS SUR LA PROPRIÉTÉ
| Superficie totale disponible | 1,03 AC | Sous-type de propriété | Terrain commercial |
| Type de propriété | Terrain |
| Superficie totale disponible | 1,03 AC |
| Type de propriété | Terrain |
| Sous-type de propriété | Terrain commercial |
1 de 4
VIDÉOS
VISITE EXTÉRIEURE 3D MATTERPORT
VISITE 3D MATTERPORT
PHOTOS
VUE DEPUIS LA RUE
RUE
CARTE
Présenté par
Shops at FM 544 - 1.03 AC Pad Site | 544 E SWQ of FM 544 and Sanden Blvd.
Vous êtes déjà membre? Connectez-vous
Hmm, il semble y avoir eu une erreur lors de l’envoi de votre message. Veuillez réessayer.
Merci! Votre message a été envoyé.

