Se Connecter/S’inscrire
Votre courriel a été envoyé.
Certaines informations ont été traduites automatiquement.
FAITS SAILLANTS DE L'INVESTISSEMENT
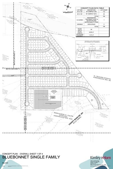
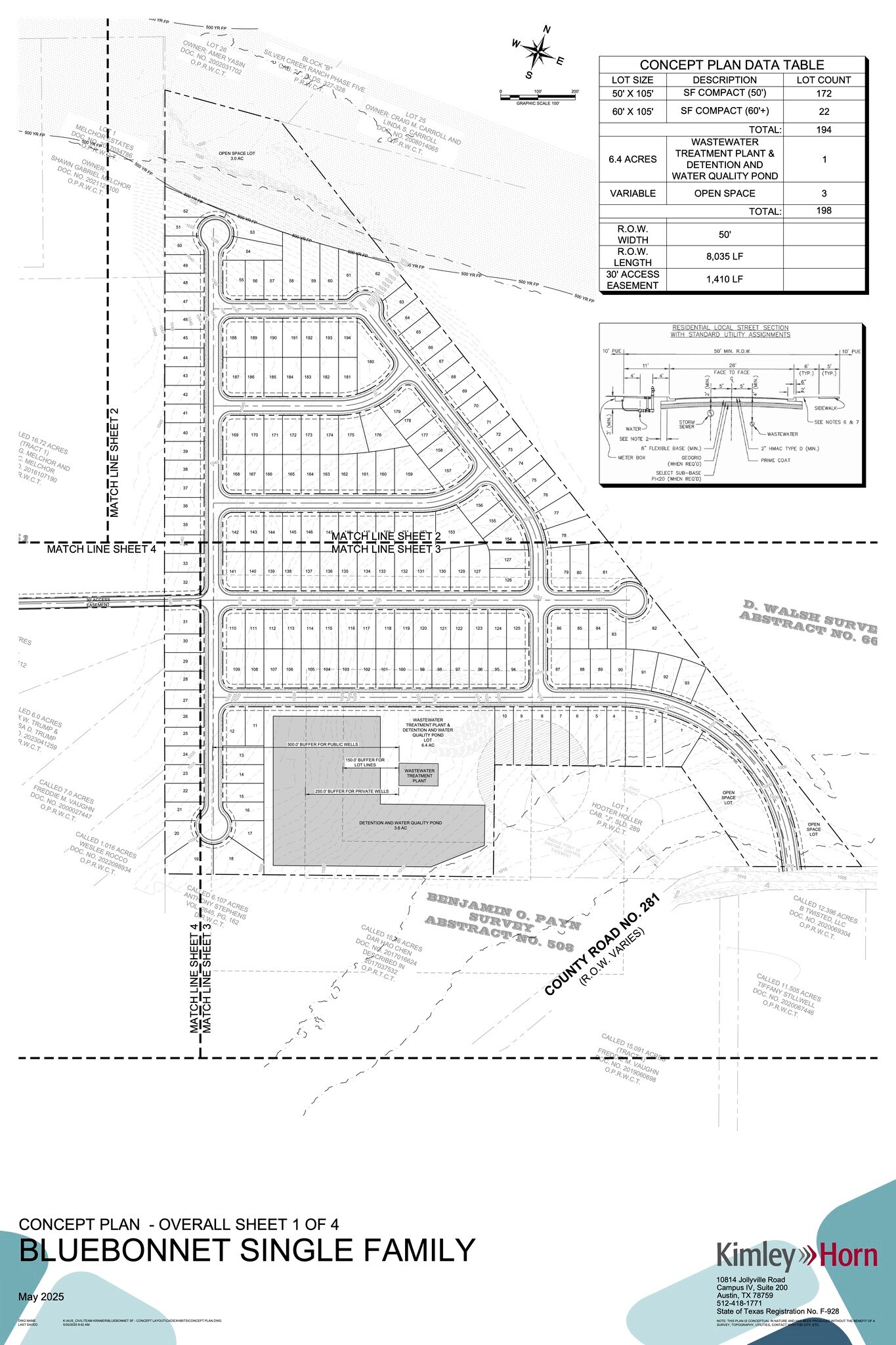
- Plat préliminaire pour 20 lots
- Emplacement incroyable juste à l'ouest du chemin N Bagdad sur la route de comté 281 près de Liberty Hill et Leander
- 25 minutes du campus Apple
- Vendu avec plan de site pour les routes et les services publics
- À 5 minutes de la gare Leander
- 35 minutes du centre-ville d'Austin
RÉSUMÉ DE L'ANNONCE
La propriété est d'une superficie totale de 47 acres, idéale pour les terrains unifamiliaux, à seulement 0,5 milles de l'intersection de Bagdad Road et à 281 minutes seulement du centre-ville de Leander et des écoles avoisinantes pour Liberty Hill ISD. Il y a un grand potentiel avec la topographie principalement plate et les espaces ouverts au milieu d'arbres lourds avec de grands et beaux chênes partout. Les deux parcelles sont vendues avec un plan préliminaire de 20 lots et un plan de site pour l'installation des routes et de l'électricité. Chaque propriétaire sera responsable de son propre puits et de sa fosse septique dans le cadre de la conception de la maison.
FAITS SUR LA PROPRIÉTÉ
| Prix | 6 664 800 $ CAD | Sous-type de propriété | Résidentiel |
| Type de vente | Investissement ou propriétaire utilisateur | Utilisation proposée | Développement familial unique |
| Nombre de lots | 1 | Taille totale du lot | 47,00 AC |
| Type de propriété | Terrain |
| Prix | 6 664 800 $ CAD |
| Type de vente | Investissement ou propriétaire utilisateur |
| Nombre de lots | 1 |
| Type de propriété | Terrain |
| Sous-type de propriété | Résidentiel |
| Utilisation proposée | Développement familial unique |
| Taille totale du lot | 47,00 AC |
1 LOT DISPONIBLE
Lot
| Prix | 6 664 800 $ CAD | Taille du lot | 47,00 AC |
| Prix par AC | 141 804,25 $ CAD |
| Prix | 6 664 800 $ CAD |
| Prix par AC | 141 804,25 $ CAD |
| Taille du lot | 47,00 AC |
AW0666 WALSH, D. SUR, 25 ACRES ET AW0666 WALSH, D. SUD., ACRES 22 Depuis Austin, prendre l'US-183 North, à gauche sur San Gabriel Pkwy, à droite sur Bagdad Rd, à gauche sur le CR-281. Aller environ 1 mille à l'ouest sur le CR-281 jusqu'à Silver Gate sur la droite.
Impôts fonciers
| Numéros de lot | Évaluation des bâtiments | 0 $ CAD | |
| Évaluation du terrain | 0 $ CAD | Évaluation totale | 117 133 $ CAD |
Impôts fonciers
Numéros de lot
Évaluation du terrain
0 $ CAD
Évaluation des bâtiments
0 $ CAD
Évaluation totale
117 133 $ CAD
1 de 23
VIDÉOS
VISITE EXTÉRIEURE 3D MATTERPORT
VISITE 3D MATTERPORT
PHOTOS
VUE DEPUIS LA RUE
RUE
CARTE
Présenté par
550 County Road 281
Vous êtes déjà membre? Connectez-vous
Hmm, il semble y avoir eu une erreur lors de l’envoi de votre message. Veuillez réessayer.
Merci! Votre message a été envoyé.




