Se Connecter/S’inscrire
Votre courriel a été envoyé.
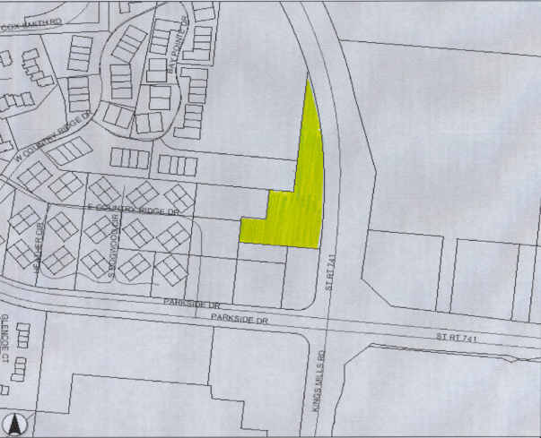
5524 Parkside Dr - B-3 Zoned Acreage Lot • Terrain commercial • 2,64 Acres • 1 181 491 $ CAD • Mason, OH 45040

Certaines informations ont été traduites automatiquement.
FAITS SAILLANTS DE L'INVESTISSEMENT
- 800" Frontage on State Rte. 741
RÉSUMÉ DE L'ANNONCE
Situated in the heart of Warren County's popular entertainment district that includes Kings Island, The Beach Waterpark, Great Wolf Lodge & Lindner Family Tennis Center.
Across the street from Mason Grand & Villages of Mason, two new residential developments featuring more than 500 units.
Across the street from Mason Grand & Villages of Mason, two new residential developments featuring more than 500 units.
FAITS SUR LA PROPRIÉTÉ
1 LOT DISPONIBLE
Lot
| Prix | 1 181 491 $ CAD | Taille du lot | 2,64 AC |
| Prix par AC | 447 534,65 $ CAD |
| Prix | 1 181 491 $ CAD |
| Prix par AC | 447 534,65 $ CAD |
| Taille du lot | 2,64 AC |
800" Frontage on State Rte. 741 Located in Mason, one of Cincinnati's most affluent communities and home to Mason City Schools, named #11 in the U.S.
DESCRIPTION
Situé à Mason, l'une des communautés les plus aisées de Cincinnati et le siège des écoles de Mason City, classées au 11e rang aux États-Unis.
1 1
Impôts fonciers
| Numéros de lot | Évaluation des bâtiments | 0 $ CAD | |
| Évaluation du terrain | 350 778 $ CAD | Évaluation totale | 350 778 $ CAD |
Impôts fonciers
Numéros de lot
Évaluation du terrain
350 778 $ CAD
Évaluation des bâtiments
0 $ CAD
Évaluation totale
350 778 $ CAD
1 de 2
VIDÉOS
VISITE EXTÉRIEURE 3D MATTERPORT
VISITE 3D MATTERPORT
PHOTOS
VUE DEPUIS LA RUE
RUE
CARTE
1 de 1
Présenté par
5524 Parkside Dr - B-3 Zoned Acreage
Vous êtes déjà membre? Connectez-vous
Hmm, il semble y avoir eu une erreur lors de l’envoi de votre message. Veuillez réessayer.
Merci! Votre message a été envoyé.
