Se Connecter/S’inscrire
Votre courriel a été envoyé.
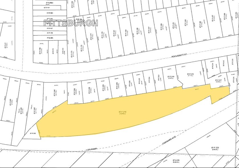
5711 Forward Ave - Land - Squirrel Hill Lot • Terrain commercial • 1,21 Acres • 1 023 180 $ CAD • Pittsburgh, PA 15217



Certaines informations ont été traduites automatiquement.
Faits saillants de l'investissement
- This lot can be purchased with Lot 2 for a combined 1.4906 acres.
- Excellent access to I-376 E&W and Murray Avenue.
- Forward Ave at this location features average daily travelers of 13,879(+/-).
Résumé de l'annonce
Prime real estate in Squirrel Hill! Convenient access to I-376 East and West & Downtown Pittsburgh. This 1.213-acre lot is located in the heart of Squirrel Hill at the intersections of Murray Ave, Forward Avenue, and I-376 East and West. Lot and Block # 0087-F-218.
Faits sur la propriété
1 Lot disponible
Lot 1
| Prix | 1 023 180 $ CAD | Taille du lot | 1,21 AC |
| Prix par AC | 845 603,34 $ CAD |
| Prix | 1 023 180 $ CAD |
| Prix par AC | 845 603,34 $ CAD |
| Taille du lot | 1,21 AC |
1.213 acre, level lot. Zoned P (Park).
1 1
Moyennement praticable à pied
60/100
Exceptionnellement facile d’accès en voiture
100/100
Transports en commun relativement accessibles
50/100
Moyennement praticable en vélo
60/100
Impôts fonciers
| Numéro de lot | 0087-F-00218-0000-00 | Évaluation des bâtiments | 0 $ CAD |
| Évaluation du terrain | 171 770 $ CAD | Évaluation totale | 171 770 $ CAD |
Impôts fonciers
Numéro de lot
0087-F-00218-0000-00
Évaluation du terrain
171 770 $ CAD
Évaluation des bâtiments
0 $ CAD
Évaluation totale
171 770 $ CAD
1 de 4
Vidéos
Visite extérieure 3D Matterport
Visite 3D Matterport
Photos
Vue depuis la rue
Rue
Carte
1 de 1
Présenté par
5711 Forward Ave - Land - Squirrel Hill
Vous êtes déjà membre? Connectez-vous
Hmm, il semble y avoir eu une erreur lors de l’envoi de votre message. Veuillez réessayer.
Merci! Votre message a été envoyé.
