Se Connecter/S’inscrire
Votre courriel a été envoyé.
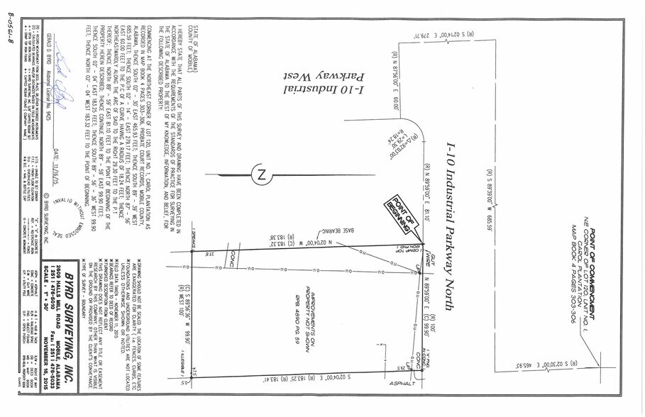
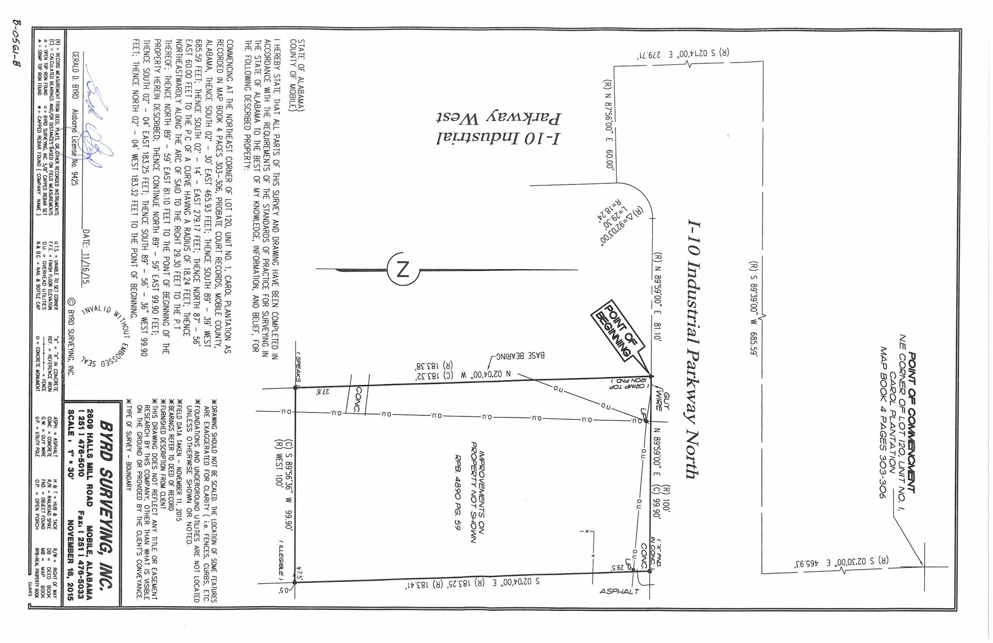
5771 I 10 Industrial Pky N
Theodore, AL 36582
Industriel Propriété À louer
·
6 554 pi²


Certaines informations ont été traduites automatiquement.
FAITS SAILLANTS
- Office / warehouse for lease on I-10 Industrial Pkwy North in Theodore
- Property is just off Highway 90, and is less than 1 mi from Interstate 10
- Zoned I-1 - Light Industrial
- ±2,280 SF of office space and ±4,374 SF of warehouse space with 2 roll-up doors
- Warehouse has 1 ground level roll up door and 1 truck well with roll up door
- For Lease: $8.50 PSF + $2.25 NNN
CARACTÉRISTIQUES
Hauteur libre
16’
Baies d’entrée
1
Places de stationnement standard
14
APERÇU DE LA PROPRIÉTÉ
Large office / warehouse building for lease just south of Tillman’s Corner area in Theodore. Property is located just off Highway 90 on I-10 Industrial Parkway North, and is less than 1 mile from Interstate 10. The building has ±2,280 SF of newly remodeled office space and ±4,374 SF of warehouse space that includes one ground level roll-up door and one truck well with roll-up door. Office area includes 7 private offices, 2 conference / meeting rooms, 2 common areas, break area & 2 ADA restrooms. Exterior of the building was painted recently. Available for lease at $8.50 PSF + $2.25 NNN.
FAITS SUR L’INSTALLATION ENTREPÔT
Taille du bâtiment
6 554 pi²
Taille du lot
0,42 AC
Année de construction
1992
Construction
Métal
Éclairage
Fluorescent
Eau
Eau de ville
Égout
Égout de la ville
Chauffage
Électricité
Alimentation électrique
Phase: 3
Zonage
I-1 - Distribution d'entrepôts industriels légers
1 de 116
VIDÉOS
VISITE EXTÉRIEURE 3D MATTERPORT
VISITE 3D MATTERPORT
PHOTOS
VUE DEPUIS LA RUE
RUE
CARTE
