Se Connecter/S’inscrire
Votre courriel a été envoyé.
Certaines informations ont été traduites automatiquement.
Faits saillants de l'investissement
- Hard-corner signalized intersection with high visibility
- Significant frontage and multiple points of ingress/egress
- Ideal for discount retailers, medical/urgent care and fitness
- Strong retail corridor presence and access to residential neighborhoods
- Drive-thru component available
- Close proximity to Freeway 41, Fashion Fair Regional Mall and River Park Shopping Center
Résumé de l'annonce
Colliers | Fresno is pleased to offer this freestanding ±10,100 SF former Walgreens located at 5785 N. First Street in Fresno, CA. Positioned along a high-traffic corridor just south of Bullard Avenue and near the intersection of N First Street and E Bullard within Fresno’s established north commercial district, the property benefits from excellent visibility and strong ingress/egress via multiple curb cuts along N First Street, supporting convenient customer access from both directions. The site sits within a well-established retail trade area with nearby national tenants and dense residential rooftops, making it an attractive opportunity for retail, medical, or service users seeking a highly visible, infill location in a proven Fresno submarket. Please call to discuss in greater detail.
Faits sur la propriété
Type de vente
Investissement pour loyer hypernet
Type de propriété
Commerce de détail
Sous-type de propriété
Pharmacie
Taille du bâtiment
10 100 pi²
Classe d’immeuble
C
Année de construction
2007
Pourcentage loué
Vacant
Location
Multiples
Hauteur du bâtiment
1 étage
Coefficient d’occupation des sols de l’immeuble
0,25
Taille du lot
0,92 AC
Zonage
C-2, Fresno
Stationnement
47 places (5,33 places par 1 000 pi² loué)
Façade
Disponibilité des espaces
- Espace
- Taille
- Utilisation de l’espace
- Poste
- Disponible
- 1er étage
- 10 100 pi²
- Commerce de détail
- -
- Maintenant
| Espace | Taille | Utilisation de l’espace | Poste | Disponible |
| 1er étage | 10 100 pi² | Commerce de détail | - | Maintenant |
1er étage
| Taille |
| 10 100 pi² |
| Utilisation de l’espace |
| Commerce de détail |
| Poste |
| - |
| Disponible |
| Maintenant |
Moyennement praticable à pied
70/100
Exceptionnellement facile d’accès en voiture
100/100
Transports en commun limités
30/100
Moyennement praticable en vélo
60/100
Principaux détaillants à proximité
Impôts fonciers
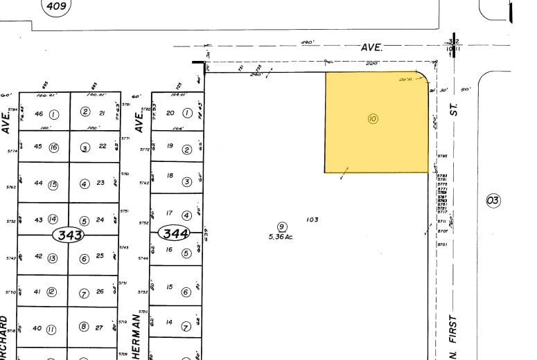
| Numéro de lot | 418-344-10 | Évaluation des bâtiments | 3 814 048 $ CAD |
| Évaluation du terrain | 1 634 592 $ CAD | Évaluation totale | 5 448 640 $ CAD |
Impôts fonciers
Numéro de lot
418-344-10
Évaluation du terrain
1 634 592 $ CAD
Évaluation des bâtiments
3 814 048 $ CAD
Évaluation totale
5 448 640 $ CAD
1 de 6
Vidéos
Visite extérieure 3D Matterport
Visite 3D Matterport
Photos
Vue depuis la rue
Rue
Carte
Présenté par
5785 N 1st St
Vous êtes déjà membre? Connectez-vous
Hmm, il semble y avoir eu une erreur lors de l’envoi de votre message. Veuillez réessayer.
Merci! Votre message a été envoyé.



