Se Connecter/S’inscrire
Votre courriel a été envoyé.
5789 Highway 90 W
Theodore, AL 36582
Terrain À vendre
·
4,56 AC


Certaines informations ont été traduites automatiquement.
Faits saillants de l'investissement
- 38 557 VPD 11-23.
Résumé de l'annonce
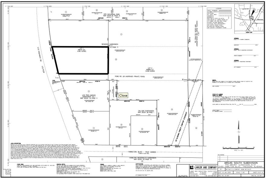
Lot 1, subdivision Airgas Sud. Environ 4,56 acres. Façades d'environ 475 pieds.
Faits sur la propriété
| Type de vente | Investissement | Sous-type de propriété | Terrain industriel |
| Nombre de lots | 1 | Utilisation proposée | |
| Type de propriété | Terrain | Taille totale du lot | 4,56 AC |
| Zonage | I-1 - Industrie légère | ||
| Type de vente | Investissement |
| Nombre de lots | 1 |
| Type de propriété | Terrain |
| Sous-type de propriété | Terrain industriel |
| Utilisation proposée | |
| Taille totale du lot | 4,56 AC |
| Zonage | I-1 - Industrie légère |
1 Lot disponible
Lot
| Prix | 567 326 $ CAD | Taille du lot | 4,56 AC |
| Prix par AC | 124 413,55 $ CAD |
| Prix | 567 326 $ CAD |
| Prix par AC | 124 413,55 $ CAD |
| Taille du lot | 4,56 AC |
5789 U.S. Highway 90 Quadrant Nord-Est de l'autoroute 90 @ Hamilton Boulevard
Impôts fonciers
| Numéro de lot | 38-02-03-2-000-001.004 | Évaluation des bâtiments | 267 504 $ CAD |
| Évaluation du terrain | 105 810 $ CAD | Évaluation totale | 373 314 $ CAD |
Impôts fonciers
Numéro de lot
38-02-03-2-000-001.004
Évaluation du terrain
105 810 $ CAD
Évaluation des bâtiments
267 504 $ CAD
Évaluation totale
373 314 $ CAD
1 de 3
Vidéos
Visite extérieure 3D Matterport
Visite 3D Matterport
Photos
Vue depuis la rue
Rue
Carte
