Se Connecter/S’inscrire
Votre courriel a été envoyé.
58000 Derhammer Pky
Paw Paw, MI 49079
Lot 6 · Terrain À vendre
·
4,33 AC


Certaines informations ont été traduites automatiquement.
Résumé de l'annonce
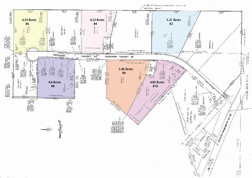
This Industrial Park offers a unique blend of natural beauty and strategic location. Conveniently situated less than one mile from the intersection of I-94 and M-40, it ensures easy access for transportation and logistics. The property is serviced by well and septic systems and is zoned Light Industrial by Antwerp Township, making it ideal for a range of business uses. There are six land tracts available, ranging in size from 4.22 to 5.46 acres, with the flexibility to combine parcels to suit larger development needs.
Faits sur la propriété
1 Lot disponible
Lot 6
| Prix | 295 943 $ CAD | Taille du lot | 4,33 AC |
| Prix par AC | 68 347,00 $ CAD |
| Prix | 295 943 $ CAD |
| Prix par AC | 68 347,00 $ CAD |
| Taille du lot | 4,33 AC |
Description
Ce parc industriel offre un mélange unique de beauté naturelle et d'emplacement stratégique. Idéalement situé à moins d’un mile de l’intersection de l’I-94 et de la M-40, il garantit un accès facile pour le transport et la logistique. La propriété est desservie par des systèmes de puits et de fosse septique et est zonée « Industrie légère » par le canton d’Antwerp, ce qui la rend idéale pour une variété d’usages commerciaux. Six parcelles de terrain sont disponibles, avec des superficies allant de 4,22 à 5,46 acres, et il est possible de combiner les lots pour répondre à des besoins de développement plus importants.
Impôts fonciers
| Numéro de lot | 80-02-018-053-55 | Évaluation des bâtiments | 0 $ CAD |
| Évaluation du terrain | 0 $ CAD | Évaluation totale | 51 124 $ CAD |
Impôts fonciers
Numéro de lot
80-02-018-053-55
Évaluation du terrain
0 $ CAD
Évaluation des bâtiments
0 $ CAD
Évaluation totale
51 124 $ CAD
1 de 5
Vidéos
Visite extérieure 3D Matterport
Visite 3D Matterport
Photos
Vue depuis la rue
Rue
Carte
