Votre courriel a été envoyé.
588 Mill Rd - 3+ acre development site Lot • Terrain commercial • 3,12 Acres • 2 083 425 $ CAD • Coram, NY 11727



Certaines informations ont été traduites automatiquement.
FAITS SAILLANTS DE L'INVESTISSEMENT
- 3+ acres of land for development
- J Business 2 zoning
RÉSUMÉ DE L'ANNONCE
BILAN FINANCIER (RÉEL - 2025) |
ANNUEL (CAD) | ANNUEL PAR AC (CAD) |
|---|---|---|
| Taxes |
4 818 $
|
1 544,32 $
|
| Dépenses d’exploitation |
-
|
-
|
| Total des dépenses |
4 818 $
|
1 544,32 $
|
BILAN FINANCIER (RÉEL - 2025)
| Taxes (CAD) | |
|---|---|
| Annuel | 4 818 $ |
| Annuel par AC | 1 544,32 $ |
| Dépenses d’exploitation (CAD) | |
|---|---|
| Annuel | - |
| Annuel par AC | - |
| Total des dépenses (CAD) | |
|---|---|
| Annuel | 4 818 $ |
| Annuel par AC | 1 544,32 $ |
FAITS SUR LA PROPRIÉTÉ
1 LOT DISPONIBLE
Lot
| Prix | 2 083 425 $ CAD | Taille du lot | 3,12 AC |
| Prix par AC | 667 764,42 $ CAD |
| Prix | 2 083 425 $ CAD |
| Prix par AC | 667 764,42 $ CAD |
| Taille du lot | 3,12 AC |
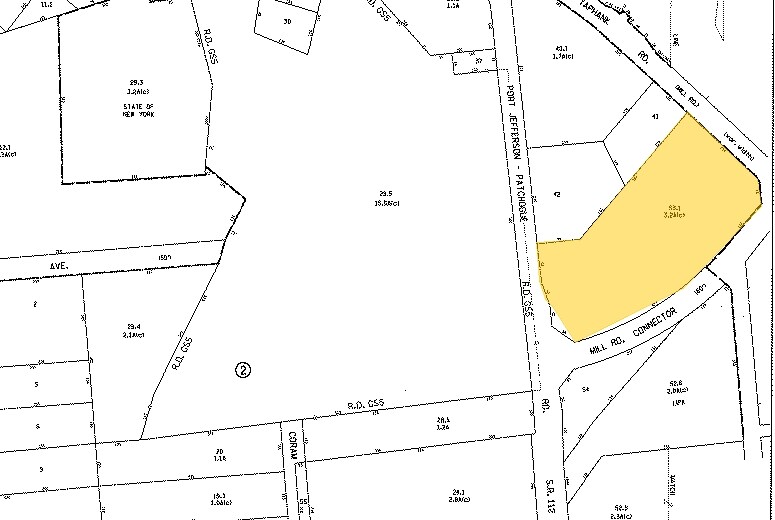
The subject property is 3.12 acres of vacant land zoned J2 (J Business 2). The site has approximately 200 feet of frontage on Route 112 and 220 feet of frontage on Mill Road.
DESCRIPTION
La propriété en question est un terrain vacant de 3,12 acres, zoné J2 (J Commerce 2). Le site offre environ 200 pieds de façade sur la Route 112 et 220 pieds de façade sur Mill Road. La propriété est située juste au sud de Middle Country Road, avec Home Depot à l'est et les appartements Wincoram Commons à l'ouest. Les usages permis de plein droit incluent des magasins de détail, des bureaux professionnels, des centres de jardinage, des garderies, et plus encore.
Impôts fonciers
| Numéro de lot | 0200-476-00-02-00-053-001 | Évaluation totale | 1 049 $ CAD (2024) |
| Évaluation du terrain | 1 049 $ CAD (2024) | Impôts annuels | 4 818 $ CAD |
| Évaluation des bâtiments | 0 $ CAD (2024) | Année d’imposition | 2025 |
Impôts fonciers
Présenté par
588 Mill Rd - 3+ acre development site
Hmm, il semble y avoir eu une erreur lors de l’envoi de votre message. Veuillez réessayer.
Merci! Votre message a été envoyé.

