Se Connecter/S’inscrire
Votre courriel a été envoyé.
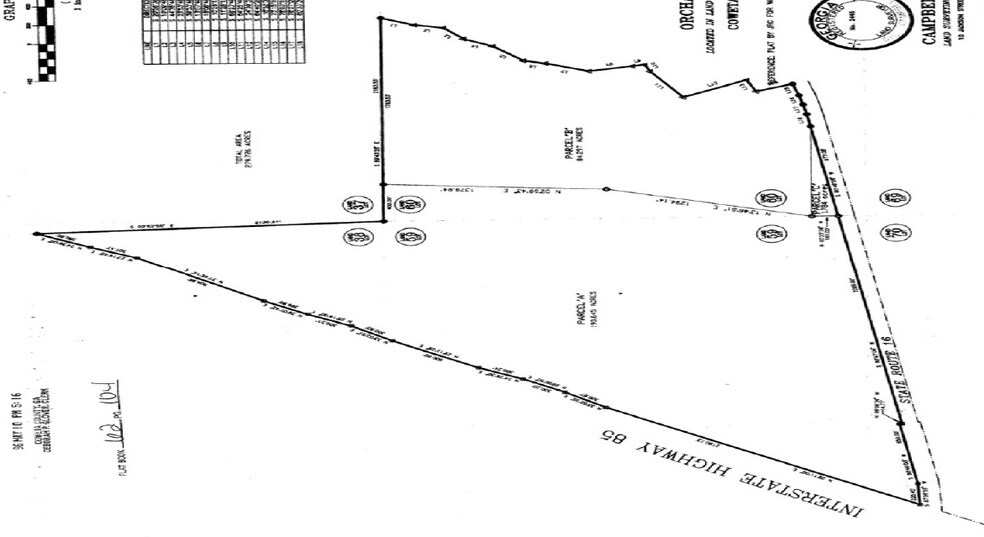
600 Georgia Hwy 16 Hwy - Orchard Hills Business Park Lot • Terrain commercial • 19 Acres • 6 957 500 $ CAD • Newnan, GA 30263



Certaines informations ont été traduites automatiquement.
RÉSUMÉ DE L'ANNONCE
Restauration rapide de 2 acres, restauration rapide de 1,6 ac et terrain de 15 acres zoné pour une ancre d'épicerie, du gaz, un restaurant et un service
FAITS SUR LA PROPRIÉTÉ
1 LOT DISPONIBLE
Lot
| Prix | 6 957 500 $ CAD | Taille du lot | 19,00 AC |
| Prix par AC | 366 184,21 $ CAD |
| Prix | 6 957 500 $ CAD |
| Prix par AC | 366 184,21 $ CAD |
| Taille du lot | 19,00 AC |
1 1
Impôts fonciers
| Numéro de lot | 088-2059-006 | Évaluation des bâtiments | 1 826 $ CAD |
| Évaluation du terrain | 871 996 $ CAD | Évaluation totale | 873 823 $ CAD |
Impôts fonciers
Numéro de lot
088-2059-006
Évaluation du terrain
871 996 $ CAD
Évaluation des bâtiments
1 826 $ CAD
Évaluation totale
873 823 $ CAD
1 de 11
VIDÉOS
VISITE EXTÉRIEURE 3D MATTERPORT
VISITE 3D MATTERPORT
PHOTOS
VUE DEPUIS LA RUE
RUE
CARTE
1 de 1
Présenté par
Jim Brooks
600 Georgia Hwy 16 Hwy - Orchard Hills Business Park
Vous êtes déjà membre? Connectez-vous
Hmm, il semble y avoir eu une erreur lors de l’envoi de votre message. Veuillez réessayer.
Merci! Votre message a été envoyé.
