Votre courriel a été envoyé.
6001 Highway 44 - Holladay Commercial Lot • Terrain commercial • 22,82 Acres • Star, ID 83669



Certaines informations ont été traduites automatiquement.
Résumé de l'annonce
Faits sur la propriété
1 Lot disponible
Lot
| Taille du lot | 22,82 AC |
| Taille du lot | 22,82 AC |
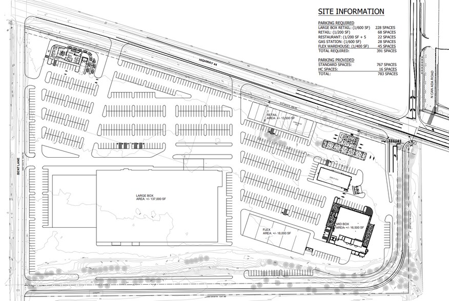
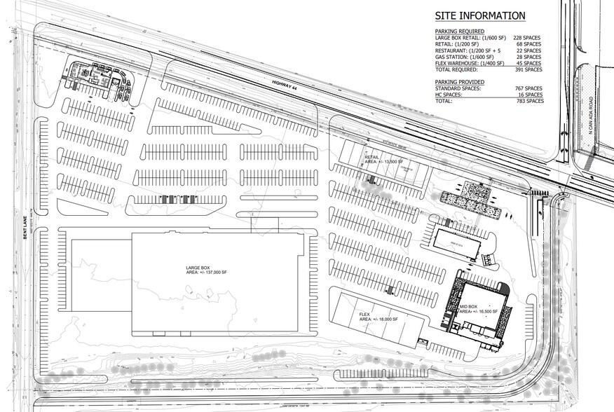
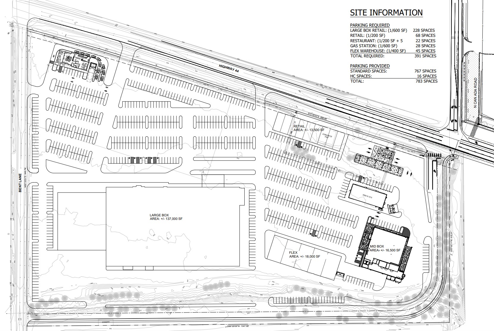
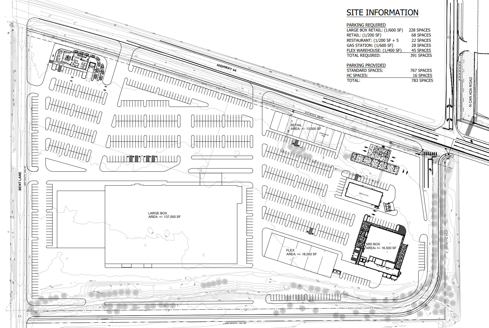
PRIME Commercial Land on the Corner of Can Ada and Hwy 44!
Description
Holladay Commercial présente un site de développement de ±22,8 acres avec une façade de premier choix le long de l'autoroute 44 à Bent Lane, à Star, Idaho. Cette offre rare propose des opportunités flexibles pour des commerces de grande surface, des commerces de taille moyenne, des entrepôts flexibles, des restaurants et des stations-service/convenience store—tous stratégiquement positionnés pour tirer parti de la croissance explosive à Star et Middleton. Les plans conceptuels incluent un espace de grande surface de ±137 000 pi², un espace de taille moyenne de ±16 500 pi², un espace flexible de ±18 000 pi² et ±13 500 pi² de commerces de détail, ainsi qu'une composante dédiée aux stations-service/convenience store avec auvent. Situé le long de l'axe principal de commerce de détail de Star, la propriété se trouve dans un corridor très visible qui accueille déjà plus de 32 000 véhicules par jour, avec une augmentation projetée de plus de 13 000 véhicules au cours de la prochaine décennie. Les améliorations prévues par le ministère des Transports de l'Idaho (ITD) entre 2025 et 2027 élargiront la SH-44 de trois à cinq voies, renforçant ainsi l'accès et la valeur à long terme. Avec une croissance résidentielle rapide—une augmentation de la population de plus de 2 400 % depuis la fin des années 1990—et une vague de nouvelles entreprises entrant sur le marché, Holladay Commercial offre une opportunité de développement exceptionnelle dans l'un des corridors les plus dynamiques de Treasure Valley. Points forts : - Site commercial de ±22,8 acres avec façade sur l'autoroute 44 - Plan conceptuel pour commerces de détail, espaces flexibles, restaurants et stations-service/convenience store - Plus de 32 000 véhicules par jour; croissance projetée de 13 000+ véhicules en 10 ans - Forte croissance résidentielle et base d'entreprises en expansion à Star - Élargissement de la route à 5 voies d'ici 2027 (améliorations du corridor ITD)
Impôts fonciers
| Numéros de lot | Évaluation des bâtiments | 0 $ CAD | |
| Évaluation du terrain | 2 096 607 $ CAD | Évaluation totale | 2 096 607 $ CAD |
Impôts fonciers
Présenté par
6001 Highway 44 - Holladay Commercial
Hmm, il semble y avoir eu une erreur lors de l’envoi de votre message. Veuillez réessayer.
Merci! Votre message a été envoyé.

