Se Connecter/S’inscrire
Votre courriel a été envoyé.
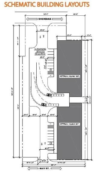
615 May St
Lansing, MI 48906
Industriel Propriété À louer
·
24 000 pi²


Certaines informations ont été traduites automatiquement.
Faits saillants
- Construire pour répondre aux besoins des bâtiments industriels
Caractéristiques
Hauteur libre
20’
Places de stationnement standard
19
Aperçu de la propriété
BÂTIR POUR CONVENIR À L'OCCASION ! 615, rue S May, Lansing MI 48912 : - À louer - 1 Mile de l'I-496 - Construire pour répondre aux besoins des bâtiments industriels - Jusqu'à 2 acres - Stationnement en surface - L'intérieur peut être construit pour répondre aux besoins des locataires
Faits sur l’installation Entrepôt
Taille du bâtiment
24 000 pi²
Taille du lot
0,91 AC
Année de construction
2027
Zonage
I HVY - Industrielle lourde
1 de 3
Vidéos
Visite extérieure 3D Matterport
Visite 3D Matterport
Photos
Vue depuis la rue
Rue
Carte
