Se Connecter/S’inscrire
Votre courriel a été envoyé.
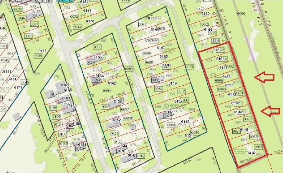
6157 Benvue St Lot • Terrain commercial • 0,1 Acre • 12 305 $-13 536 $ CAD par lot • Cincinnati, OH 45233

Certaines informations ont été traduites automatiquement.
Résumé de l'annonce
Un des 10 lots riverains en rangée au bout d'un cul-de-sac boisé tranquille. Parfait pour les maisons en rangée, les condominiums ou une maison privée. Venez regarder
Faits sur la propriété
9 Lots disponibles
Lot 1
| Prix | 13 536 $ CAD | Taille du lot | 0,10 AC |
| Prix par AC | 135 355,78 $ CAD |
| Prix | 13 536 $ CAD |
| Prix par AC | 135 355,78 $ CAD |
| Taille du lot | 0,10 AC |
Lot 2
| Prix | 12 305 $ CAD | Taille du lot | 0,10 AC |
| Prix par AC | 123 050,71 $ CAD |
| Prix | 12 305 $ CAD |
| Prix par AC | 123 050,71 $ CAD |
| Taille du lot | 0,10 AC |
Lot 3
| Prix | 12 305 $ CAD | Taille du lot | 0,10 AC |
| Prix par AC | 123 050,71 $ CAD |
| Prix | 12 305 $ CAD |
| Prix par AC | 123 050,71 $ CAD |
| Taille du lot | 0,10 AC |
Lot 4
| Prix | 12 305 $ CAD | Taille du lot | 0,10 AC |
| Prix par AC | 123 050,71 $ CAD |
| Prix | 12 305 $ CAD |
| Prix par AC | 123 050,71 $ CAD |
| Taille du lot | 0,10 AC |
Lot 5
| Prix | 12 305 $ CAD | Taille du lot | 0,10 AC |
| Prix par AC | 123 050,71 $ CAD |
| Prix | 12 305 $ CAD |
| Prix par AC | 123 050,71 $ CAD |
| Taille du lot | 0,10 AC |
Lot 6
| Prix | 12 305 $ CAD | Taille du lot | 0,10 AC |
| Prix par AC | 123 050,71 $ CAD |
| Prix | 12 305 $ CAD |
| Prix par AC | 123 050,71 $ CAD |
| Taille du lot | 0,10 AC |
Lot 7
| Prix | 12 305 $ CAD | Taille du lot | 0,10 AC |
| Prix par AC | 123 050,71 $ CAD |
| Prix | 12 305 $ CAD |
| Prix par AC | 123 050,71 $ CAD |
| Taille du lot | 0,10 AC |
Lot 8
| Prix | 12 305 $ CAD | Taille du lot | 0,10 AC |
| Prix par AC | 123 050,71 $ CAD |
| Prix | 12 305 $ CAD |
| Prix par AC | 123 050,71 $ CAD |
| Taille du lot | 0,10 AC |
Lot 9
| Prix | 12 305 $ CAD | Taille du lot | 0,10 AC |
| Prix par AC | 123 050,71 $ CAD |
| Prix | 12 305 $ CAD |
| Prix par AC | 123 050,71 $ CAD |
| Taille du lot | 0,10 AC |
1 1
1 de 2
Vidéos
Visite extérieure 3D Matterport
Visite 3D Matterport
Photos
Vue depuis la rue
Rue
Carte
1 de 1
Présenté par
6157 Benvue St
Vous êtes déjà membre? Connectez-vous
Hmm, il semble y avoir eu une erreur lors de l’envoi de votre message. Veuillez réessayer.
Merci! Votre message a été envoyé.
Votre message a été envoyé !
Activez votre compte LoopNet dès maintenant pour suivre les propriétés, recevoir des alertes en temps réel, gagner du temps sur vos demandes futures et bien plus encore.
