Votre courriel a été envoyé.
618 Allen St - Multifamily Development Site Lot • Résidentiel • 10,88 Acres • 273 942 $ CAD • Swainsboro, GA 30401


Certaines informations ont été traduites automatiquement.
Résumé de l'annonce
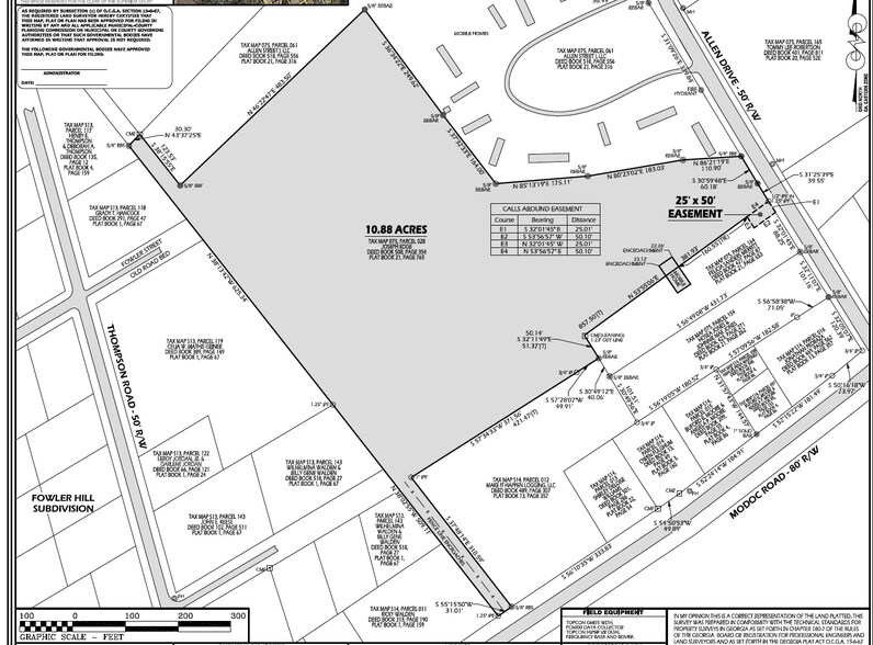
An easement from a neighboring parcel has widened the Allen Street entrance to more than 100 feet. Additional access has been created through the acquisition of a former railroad line, providing connections to Grady Street and Fowler Street. A flagpole-style entrance also allows circular access to Modoc Road.
Located in Swainsboro, Emanuel County, the property sits approximately 45 minutes from both Statesboro and Dublin along the I-16 corridor. The area continues to experience job growth driven by expansion in the industrial sector. Demand for affordable housing remains strong in Swainsboro and surrounding communities.
Faits sur la propriété
1 Lot disponible
Lot
| Prix | 273 942 $ CAD | Taille du lot | 10,88 AC |
| Prix par AC | 25 178,49 $ CAD |
| Prix | 273 942 $ CAD |
| Prix par AC | 25 178,49 $ CAD |
| Taille du lot | 10,88 AC |
This ±10-acre site offers strong potential for residential or multifamily development at just $20,000 per acre. Several options exist for ingress and egress, with city water and sewer service available. The site features gently rolling topography.
Description
Ce terrain d’environ ±10 acres offre un fort potentiel pour un développement résidentiel ou multifamilial, à seulement 20 000 $ par acre. Plusieurs options d’accès sont disponibles pour l’entrée et la sortie, avec des services municipaux d’eau et d’égouts déjà en place. Le site présente une topographie légèrement vallonnée qui descend vers l’arrière de la propriété. Une servitude provenant d’un lot voisin a élargi l’entrée de la rue Allen à plus de 100 pieds. Un accès supplémentaire a été créé grâce à l’acquisition d’une ancienne voie ferrée, offrant des connexions aux rues Grady et Fowler. Une entrée en forme de drapeau permet également un accès circulaire à la route Modoc. Située à Swainsboro, dans le comté d’Emanuel, la propriété se trouve à environ 45 minutes de Statesboro et de Dublin, le long du corridor de l’I-16. La région continue de connaître une croissance de l’emploi, stimulée par l’expansion du secteur industriel. La demande pour des logements abordables reste forte à Swainsboro et dans les communautés environnantes.
Présenté par
618 Allen St - Multifamily Development Site
Hmm, il semble y avoir eu une erreur lors de l’envoi de votre message. Veuillez réessayer.
Merci! Votre message a été envoyé.
