Se Connecter/S’inscrire
Votre courriel a été envoyé.
Certaines informations ont été traduites automatiquement.
Résumé de l'annonce
Fully Approved Development
Faits sur la propriété
| Type de vente | Investissement | Sous-type de propriété | Terrain commercial |
| Nombre de lots | 1 | Utilisation proposée | Commercial |
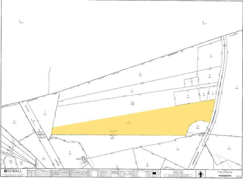
| Type de propriété | Terrain | Taille totale du lot | 18,50 AC |
| Zonage | LI - Industriel léger | ||
| Type de vente | Investissement |
| Nombre de lots | 1 |
| Type de propriété | Terrain |
| Sous-type de propriété | Terrain commercial |
| Utilisation proposée | Commercial |
| Taille totale du lot | 18,50 AC |
| Zonage | LI - Industriel léger |
1 Lot disponible
Lot
| Taille du lot | 18,50 AC |
| Taille du lot | 18,50 AC |
Approved proposed building: 160,120 SF
Description
Land zoned industrial
1 1
Plutôt practicable à pied
30/100
Exceptionnellement facile d'accès en voiture
100/100
Transports en commun limités
20/100
Assez praticable en vélo
20/100
Impôts fonciers
| Numéros de lot | Évaluation des bâtiments | 0 $ CAD | |
| Évaluation du terrain | 1 173 928 $ CAD | Évaluation totale | 1 173 928 $ CAD |
Impôts fonciers
Numéros de lot
Évaluation du terrain
1 173 928 $ CAD
Évaluation des bâtiments
0 $ CAD
Évaluation totale
1 173 928 $ CAD
1 de 3
Vidéos
Visite extérieure 3D Matterport
Visite 3D Matterport
Photos
Vue depuis la rue
Rue
Carte
1 de 1
Présenté par
622 Route 303
Vous êtes déjà membre? Connectez-vous
Hmm, il semble y avoir eu une erreur lors de l’envoi de votre message. Veuillez réessayer.
Merci! Votre message a été envoyé.


