Se Connecter/S’inscrire
Votre courriel a été envoyé.
6223 Boulder Rd - Lake Vista Estates Lot • Résidentiel • 34,28 Acres • 4 444 640 $ CAD • Granite Bay, CA 95746


Certaines informations ont été traduites automatiquement.
FAITS SAILLANTS DE L'INVESTISSEMENT
- Vues sur le lac
- Centre équestre voisin
RÉSUMÉ DE L'ANNONCE
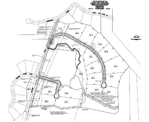
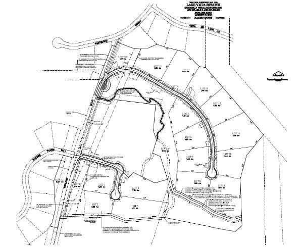
15 Parcelles de domaine proposées et cartographiées en T avec aire ouverte/commune sur 34,28 acres. Le plan le plus récent a été de compléter la carte finale et de construir/vendre des lots en deux phases. Les lots varieront d'environ 1,1 à 2,2 acres sur 2 rues en cul-de-sac. Les lots inférieurs (1-5 et 14-15) sont généralement plats, tandis que les lots 7-12 sont en pente, les lots 9-11 offriront une vue dégagée sur les crêtes à l'est sur le lac Folsom.
FAITS SUR LA PROPRIÉTÉ
| Prix | 4 444 640 $ CAD | Type de propriété | Terrain |
| Type de vente | Investissement | Sous-type de propriété | Résidentiel |
| Nombre de lots | 1 | Taille totale du lot | 34,28 AC |
| Prix | 4 444 640 $ CAD |
| Type de vente | Investissement |
| Nombre de lots | 1 |
| Type de propriété | Terrain |
| Sous-type de propriété | Résidentiel |
| Taille totale du lot | 34,28 AC |
1 LOT DISPONIBLE
Lot
| Prix | 4 444 640 $ CAD | Taille du lot | 34,28 AC |
| Prix par AC | 129 656,94 $ CAD |
| Prix | 4 444 640 $ CAD |
| Prix par AC | 129 656,94 $ CAD |
| Taille du lot | 34,28 AC |
La partie est surplombe le lac Folsom et la parcelle entière entoure le Los Lagos Eqestrian Center, qui est à vendre ; communiquez avec le courtier pour plus de détails. Des sentiers équestres traversent le lotissement offrant un accès direct aux sentiers d'équitation publics.
DESCRIPTION
La propriété borde la communauté privée de Los Lagos au nord, le lac Folsom et les terres du gouvernement à l'est et au sud, et Walden Woods.
1 1
1 de 3
VIDÉOS
VISITE EXTÉRIEURE 3D MATTERPORT
VISITE 3D MATTERPORT
PHOTOS
VUE DEPUIS LA RUE
RUE
CARTE
1 de 1
Présenté par
6223 Boulder Rd - Lake Vista Estates
Vous êtes déjà membre? Connectez-vous
Hmm, il semble y avoir eu une erreur lors de l’envoi de votre message. Veuillez réessayer.
Merci! Votre message a été envoyé.
