Votre courriel a été envoyé.
6321 Miller Ln - Miller Lane Land Lot • Terrain commercial • 1,35 Acres • 1 194 127 $ CAD • Dayton, OH 45414



Certaines informations ont été traduites automatiquement.
FAITS SAILLANTS DE L'INVESTISSEMENT
- Eau et égout dans la rue
- ADT Composite de 26 093 à Benchwood et 113 790 sur I-75 (2023)
- Échangeur routier à haute visibilité
- Carrefour commercial très trafiqué
RÉSUMÉ DE L'ANNONCE
FAITS SUR LA PROPRIÉTÉ
1 LOT DISPONIBLE
Lot
| Prix | 1 194 127 $ CAD | Taille du lot | 1,35 AC |
| Prix par AC | 884 538,67 $ CAD |
| Prix | 1 194 127 $ CAD |
| Prix par AC | 884 538,67 $ CAD |
| Taille du lot | 1,35 AC |
DESCRIPTION
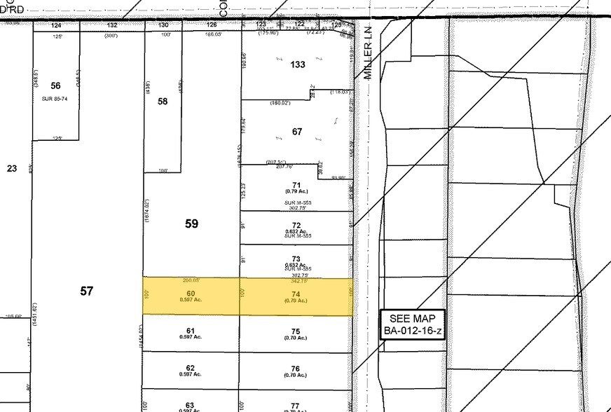
Exploiter le potentiel de cette superficie de premier ordre, actuellement utilisée pour des résidences unifamiliales, mais parfaitement prête pour le réaménagement commercial. Zonée pour les affaires routières, cette propriété est idéale pour un large éventail d'utilisations commerciales, y compris les restaurants, les hôtels, les motels, les espaces de bureaux et les développements commerciaux. Comme les services publics essentiels comme l'eau et les égouts sont déjà disponibles dans la rue, le terrain est prêt à être transformé. Stratégiquement situé à seulement 0,5 milles de l'échangeur à fort trafic de Benchwood et de l'I-75, ce site offre une visibilité incroyable avec un nombre moyen de trafic quotidien de 26 093 à l'échangeur et 113 790 véhicules supplémentaires circulant quotidiennement sur l'I-75 nord et sud. Cela en fait un endroit idéal pour les entreprises à la recherche d'une exposition maximale. La région environnante est une plaque tournante commerciale, abritant de grands détaillants comme Walmart, Sam's Club, Drury Inns, Home2Suites, Culver's et Aldi, ainsi qu'une variété d'options de restauration. Cet assemblage offre une flexibilité, avec quatre parcelles disponibles qui peuvent être achetées ensemble ou en combinaison de deux parcelles pour répondre aux besoins spécifiques des utilisateurs et aux règlements de zonage. De plus, l'aéroport international de Dayton se trouve à seulement 12 minutes en voiture, ce qui améliore l'accessibilité pour les voyageurs d'affaires et les opérations logistiques. Tirez parti de cette rare chance d'obtenir un emplacement de choix dans un quartier commercial prospère, idéal pour un large éventail de développements. Ne manquez pas cette occasion de participer à la croissance et au succès continus de la région.
Impôts fonciers
| Numéro de lot | B02-01203-0062 | Évaluation des bâtiments | 0 $ CAD |
| Évaluation du terrain | 7 309 $ CAD | Évaluation totale | 7 309 $ CAD |
Impôts fonciers
Présenté par
6321 Miller Ln - Miller Lane Land
Hmm, il semble y avoir eu une erreur lors de l’envoi de votre message. Veuillez réessayer.
Merci! Votre message a été envoyé.
