Se Connecter/S’inscrire
Votre courriel a été envoyé.
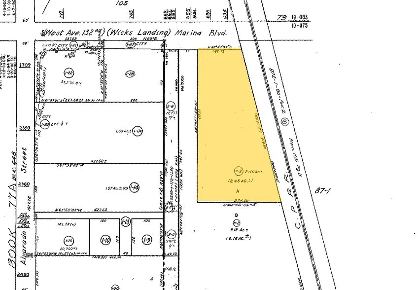
635 Marina Blvd
San Leandro, CA 94577
Terrain À vendre
·
2,40 AC


Certaines informations ont été traduites automatiquement.
Faits sur la propriété
| Type de vente | Investissement | Sous-type de propriété | Terrain commercial |
| Nombre de lots | 1 | Utilisation proposée | |
| Type de propriété | Terrain | Taille totale du lot | 2,40 AC |
| Zonage | IG(S) | ||
| Type de vente | Investissement |
| Nombre de lots | 1 |
| Type de propriété | Terrain |
| Sous-type de propriété | Terrain commercial |
| Utilisation proposée | |
| Taille totale du lot | 2,40 AC |
| Zonage | IG(S) |
1 Lot disponible
Lot
| Taille du lot | 2,40 AC |
| Taille du lot | 2,40 AC |
2.4 Acres of Land. Pre-existing Building has been demolished. Prime Industrial Zoned Land with Major Street Frontage for Development along San Leandro’s Auto Row.
Impôts fonciers
| Numéro de lot | 075-0093-007-02 | Évaluation des bâtiments | 0 $ CAD |
| Évaluation du terrain | 8 983 232 $ CAD | Évaluation totale | 8 983 232 $ CAD |
Impôts fonciers
Numéro de lot
075-0093-007-02
Évaluation du terrain
8 983 232 $ CAD
Évaluation des bâtiments
0 $ CAD
Évaluation totale
8 983 232 $ CAD
1 de 6
Vidéos
Visite extérieure 3D Matterport
Visite 3D Matterport
Photos
Vue depuis la rue
Rue
Carte
