Se Connecter/S’inscrire
Votre courriel a été envoyé.
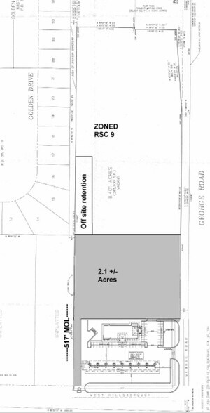
Hillsborough Avenue and George Road 6401 Hillsborough Ave Terrain à louer de 5,27 acres • Terrain commercial • Tampa, FL 33634


Certaines informations ont été traduites automatiquement.
LOT Disponible
Afficher les taux de location en
| Taux de location |
|
Taille du lot | 5,27 AC |
| Durée du bail | Négociable |
| Taux de location | |
| Durée du bail | Négociable |
| Taille du lot | 5,27 AC |
Aperçu de la propriété
Terrain vacant à louer ou à construire en fonction des besoins Quartier nord-ouest de l'avenue Hillsborough et du chemin George à Tampa
Faits sur la propriété
1 1
Assez praticable à pied
40/100
Très facile d’accès en voiture
80/100
Transports en commun limités
30/100
Plutôt praticable en vélo
40/100
1 de 3
Vidéos
Visite extérieure 3D Matterport
Visite 3D Matterport
Photos
Vue depuis la rue
Rue
Carte
1 de 1
Présenté par
Hillsborough Avenue and George Road | 6401 Hillsborough Ave
Vous êtes déjà membre? Connectez-vous
Hmm, il semble y avoir eu une erreur lors de l’envoi de votre message. Veuillez réessayer.
Merci! Votre message a été envoyé.
