Votre courriel a été envoyé.
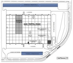
Building 1 6450 Trippel Rd 25 000–32 000 pi² d'espace disponible • Industriel • 5 étoiles • Theodore, AL 36582



Certaines informations ont été traduites automatiquement.
Faits saillants
- I-10 - 0,6 km ; I-65 - 9 milles
- 13.5 miles to Port of Mobile
- 0.4 miles to I-10
- Port de Mobile - 21,5 km
- 25 miles to Ingalls Shipbuilding
- 9 miles to I-65
Caractéristiques
Tous les espaces disponibles(1)
Afficher les taux de location en
- Espace
- Taille
- Terme
- Taux de location
- Utilisation de l’espace
- Aménagement
- Disponible
32,000 square feet of high-quality warehouse and distribution space that is ideal for businesses seeking an efficient, well-equipped location with significant operational capabilities. The facility features an impressive 36-foot clear height, offering ample vertical space for racking systems and optimizing storage and workflow. It is equipped with energy-efficient T5 fluorescent lighting throughout the facility, ensuring a well-lit and safe environment for operations. The space boasts 7 dock doors, facilitating high-volume loading and unloading, which supports smooth and efficient logistics. The building is protected by an ESFR (Early Suppression, Fast Response) sprinkler system, offering superior fire suppression for industrial operations. The space is equipped with 800 amps of 277-volt 3-phase, 4-wire power, suitable for demanding manufacturing or distribution needs. The site includes up to 100 potential trailer parking spaces, providing ample space for trucks and trailers to maneuver and park.
- 16 quais de chargement
- Close proximity to the Port of Mobile
- Access to major highways & transportation routes
| Espace | Taille | Terme | Taux de location | Utilisation de l’espace | Aménagement | Disponible |
| 1er étage | 25 000 à 32 000 pi² | 1-10 ans | Sur demande Sur demande Sur demande Sur demande | Industriel | construction complète | Maintenant |
1er étage
| Taille |
| 25 000 à 32 000 pi² |
| Terme |
| 1-10 ans |
| Taux de location |
| Sur demande Sur demande Sur demande Sur demande |
| Utilisation de l’espace |
| Industriel |
| Aménagement |
| construction complète |
| Disponible |
| Maintenant |
1er étage
| Taille | 25 000 à 32 000 pi² |
| Terme | 1-10 ans |
| Taux de location | Sur demande |
| Utilisation de l’espace | Industriel |
| Aménagement | construction complète |
| Disponible | Maintenant |
32,000 square feet of high-quality warehouse and distribution space that is ideal for businesses seeking an efficient, well-equipped location with significant operational capabilities. The facility features an impressive 36-foot clear height, offering ample vertical space for racking systems and optimizing storage and workflow. It is equipped with energy-efficient T5 fluorescent lighting throughout the facility, ensuring a well-lit and safe environment for operations. The space boasts 7 dock doors, facilitating high-volume loading and unloading, which supports smooth and efficient logistics. The building is protected by an ESFR (Early Suppression, Fast Response) sprinkler system, offering superior fire suppression for industrial operations. The space is equipped with 800 amps of 277-volt 3-phase, 4-wire power, suitable for demanding manufacturing or distribution needs. The site includes up to 100 potential trailer parking spaces, providing ample space for trucks and trailers to maneuver and park.
- 16 quais de chargement
- Access to major highways & transportation routes
- Close proximity to the Port of Mobile
Aperçu de la propriété
Classe A, Construction en béton inclinable
Faits sur l’installation distribution
Présenté par
Building 1 | 6450 Trippel Rd
Hmm, il semble y avoir eu une erreur lors de l’envoi de votre message. Veuillez réessayer.
Merci! Votre message a été envoyé.




