Se Connecter/S’inscrire
Votre courriel a été envoyé.
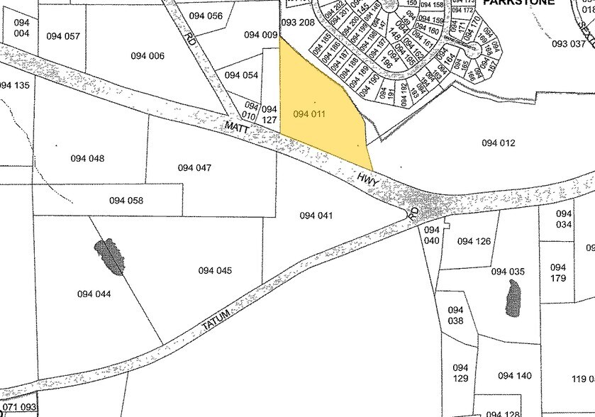
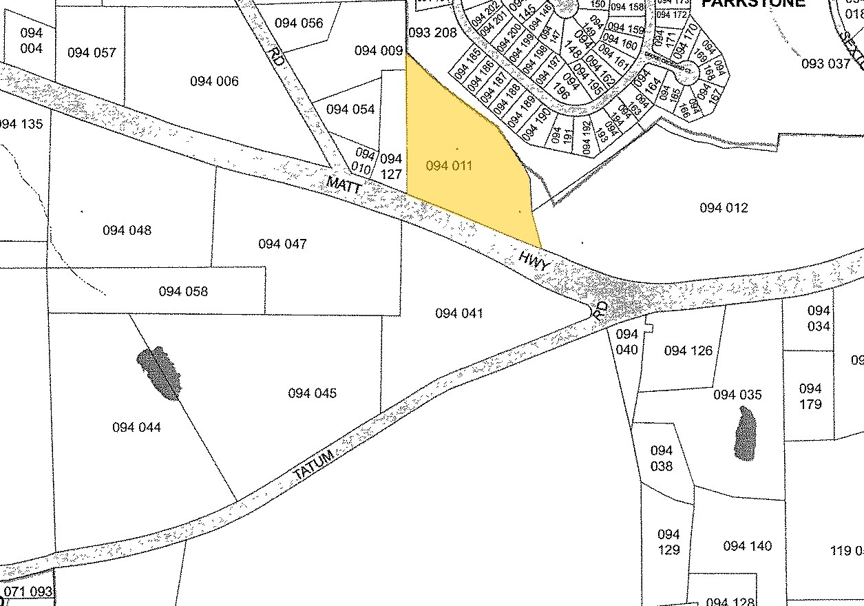
6490 Matt Hwy
Cumming, GA 30028
5.00 Acre lot, Matt Hwy. · Terrain À vendre
·
5,00 AC

Certaines informations ont été traduites automatiquement.
Résumé de l'annonce
Terrain de 5,00 acres sur Matt Hwy. Zonage commercial potentiel dans le comté de Forsyth.
Façades de 667 pieds sur l'autoroute Matt. Convient pour les centres de vente au détail sans colis.
Situé à Cumming, en Géorgie, qui connaît la croissance la plus rapide.
Façades de 667 pieds sur l'autoroute Matt. Convient pour les centres de vente au détail sans colis.
Situé à Cumming, en Géorgie, qui connaît la croissance la plus rapide.
Faits sur la propriété
| Type de vente | Investissement | Utilisation proposée | Commercial |
| Nombre de lots | 1 | Taille totale du lot | 5,00 AC |
| Type de propriété | Terrain | Nombre d’étages | 1 |
| Sous-type de propriété | Terrain commercial | ||
| Zonage | A1 - District agricole | ||
| Type de vente | Investissement |
| Nombre de lots | 1 |
| Type de propriété | Terrain |
| Sous-type de propriété | Terrain commercial |
| Utilisation proposée | Commercial |
| Taille totale du lot | 5,00 AC |
| Nombre d’étages | 1 |
| Zonage | A1 - District agricole |
1 Lot disponible
Lot
| Prix | 1 361 946 $ CAD | Taille du lot | 5,00 AC |
| Prix par AC | 272 389,22 $ CAD |
| Prix | 1 361 946 $ CAD |
| Prix par AC | 272 389,22 $ CAD |
| Taille du lot | 5,00 AC |
Impôts fonciers
| Numéro de lot | 094-011 | Évaluation des bâtiments | 0 $ CAD |
| Évaluation du terrain | 180 639 $ CAD | Évaluation totale | 180 639 $ CAD |
Impôts fonciers
Numéro de lot
094-011
Évaluation du terrain
180 639 $ CAD
Évaluation des bâtiments
0 $ CAD
Évaluation totale
180 639 $ CAD
1 de 2
Vidéos
Visite extérieure 3D Matterport
Visite 3D Matterport
Photos
Vue depuis la rue
Rue
Carte
