Se Connecter/S’inscrire
Votre courriel a été envoyé.
Certaines informations ont été traduites automatiquement.
Faits saillants
- Fully approved and secure yard space in convenient south Loveland location
- Full security fence with individual security gates for each yard
- Quick access to CO Highway 402 and Us Highway 287 - 7 minutes from I-25 and 20 minutes from Longmont, Greeley and Fort Collins
- Ideal for work trailers, equipment storage, oil & gas laydown yard and many other uses
- Fully approved for outside storage by Larimer County - final improvements to be complete by Fall, 2025
LOT Disponible
Afficher les taux de location en
| Taux de location |
|
Taille du lot | 0,90 à 0,97 AC |
| Durée du bail | Négociable |
| Taux de location | |
| Durée du bail | Négociable |
| Taille du lot | 0,90 à 0,97 AC |
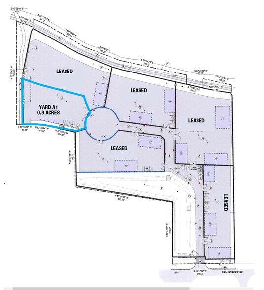
Available Space: Yard A1: 0.90 Acres $2,000/mo Yard B: 0.97 Acres $2,200/mo - Fully approved and secure yard space in convenient south Loveland location - Ideal for work trailers, equipment storage, oil & gas laydown yard and many other uses - Full security fence with individual security gates for each yard - Fully approved for outside storage by Larimer County - final improvements to be complete by Fall, 2025 - Quick access to CO Highway 402 and US Highway 287 - 7 minutes from I-25 and 20 minutes from Longmont, Greeley and Fort Collins - Near downtown Loveland and many restaurants, banks, grocers and other retail amenities
Aperçu de la propriété
LAST REMAINING YARD SPACE!
Faits sur la propriété
Plutôt praticable à pied
30/100
Très facile d’accès en voiture
80/100
Transports en commun très limités
10/100
Moyennement praticable en vélo
60/100
1 de 13
Vidéos
Visite extérieure 3D Matterport
Visite 3D Matterport
Photos
Vue depuis la rue
Rue
Carte
Présenté par
655 8th St SE
Vous êtes déjà membre? Connectez-vous
Hmm, il semble y avoir eu une erreur lors de l’envoi de votre message. Veuillez réessayer.
Merci! Votre message a été envoyé.




