Se Connecter/S’inscrire
Votre courriel a été envoyé.
6740 Mission St 1 745 pi² Bureau Immeuble Daly City, CA 94014 À vendre



Certaines informations ont été traduites automatiquement.
Résumé de l'annonce
6740 Mission St, Daly City, CA 94014
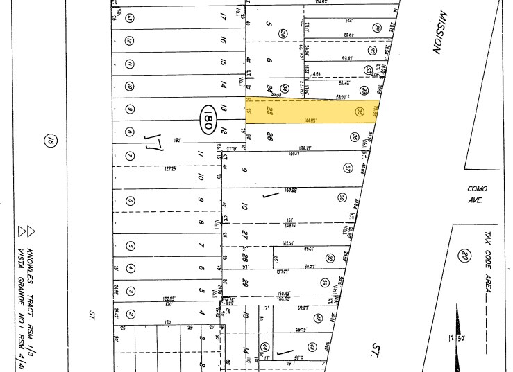
6746–6748 Mission St, Daly City, CA 94014 (Lots 25 & 26)
The two parcels can be sold together as a combined development opportunity. The property comes with existing plans for a mixed-use building, offering strong potential for residential and commercial development.
Located on Mission Street with excellent visibility and accessibility, this is an ideal opportunity for developers or investors seeking a prime infill project in Daly City.
Please call Maymar 415-867-4500 for more information
6746–6748 Mission St, Daly City, CA 94014 (Lots 25 & 26)
The two parcels can be sold together as a combined development opportunity. The property comes with existing plans for a mixed-use building, offering strong potential for residential and commercial development.
Located on Mission Street with excellent visibility and accessibility, this is an ideal opportunity for developers or investors seeking a prime infill project in Daly City.
Please call Maymar 415-867-4500 for more information
Faits sur la propriété
Type de vente
Investissement ou propriétaire utilisateur
Condition de vente
Projet de redéveloppement
Type de propriété
Bureau
Sous-type de propriété
Médical
Taille du bâtiment
1 745 pi²
Classe d’immeuble
C
Année de construction
1907
Location
Unique
Hauteur du bâtiment
1 étage
Superficie de plancher typique
1 745 pi²
Coefficient d’occupation des sols de l’immeuble
0,44
Taille du lot
0,09 AC
Zonage
CR
Stationnement
20 places (10 places par 1 000 pi² loué)
Commodités
- Ligne d'autobus
Principaux locataires
- Locataire
- Secteur
- pi² Occupé
- Loyer/pi²
- Fin du bail
- William and Ruby Ong Revocable Living Trust
- -
- -
- -
- -
- William Ong Inc
- Soins de santé et assistance sociale
- -
- -
- -
| Locataire | Secteur | pi² Occupé | Loyer/pi² | Fin du bail | ||
| William and Ruby Ong Revocable Living Trust | - | - | - | - | ||
| William Ong Inc | Soins de santé et assistance sociale | - | - | - |
1 1
Assez practicable à pied
50/100
Exceptionnellement facile d'accès en voiture
100/100
Transports en commun exceptionnels
90/100
Plutôt praticable en vélo
50/100
Impôts fonciers
| Numéro de lot | 003-180-350 | Évaluation des bâtiments | 194 778 $ CAD |
| Évaluation du terrain | 1 258 798 $ CAD | Évaluation totale | 1 453 576 $ CAD |
Impôts fonciers
Numéro de lot
003-180-350
Évaluation du terrain
1 258 798 $ CAD
Évaluation des bâtiments
194 778 $ CAD
Évaluation totale
1 453 576 $ CAD
1 de 5
Vidéos
Visite extérieure 3D Matterport
Visite 3D Matterport
Photos
Vue depuis la rue
Rue
Carte
1 de 1
Présenté par
Entreprise non fournie
6740 Mission St
Vous êtes déjà membre? Connectez-vous
Hmm, il semble y avoir eu une erreur lors de l’envoi de votre message. Veuillez réessayer.
Merci! Votre message a été envoyé.
