Se Connecter/S’inscrire
Votre courriel a été envoyé.
Certaines informations ont été traduites automatiquement.
Faits saillants de l'investissement
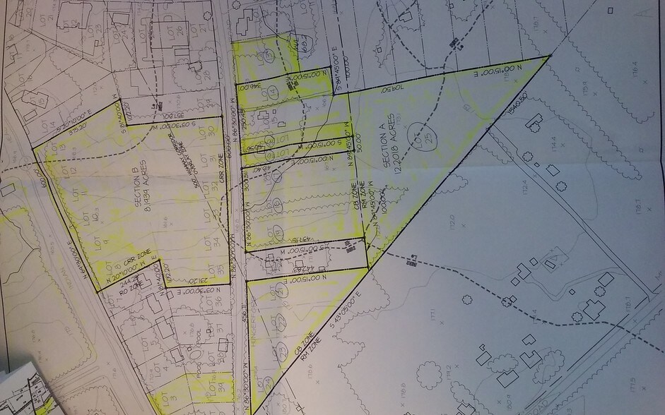
- Situé entre la route Indian Head et la subdivision Hungerford.
- Les lots sont prêts à être aménagés.
Résumé de l'annonce
DONT LE PRIX EST VENDU. ÉVALUÉE À 1,4 MILLION DE DOLLARS. « VENTE DE DOMAINE ». 3 lots commerciaux prêts à être aménagés comprenant 8,28 acres, 1 à 3 acres aménagés. 11.24 Projet commercial mixte disponible pour de multiples utilisateurs ; et 0,80 Acre.
Route Indian Head jusqu'à la subdivision Hungerford.
Route Indian Head jusqu'à la subdivision Hungerford.
Faits sur la propriété
| Prix | 1 353 954 $ CAD | Sous-type de propriété | Terrain commercial |
| Type de vente | Propriétaire utilisateur | Taille totale du lot | 20,32 AC |
| Nombre de lots | 1 | Nombre d’étages | 1 |
| Type de propriété | Terrain | ||
| Zonage | CRR C, CB RM, CB - Dans la zone CRR, tout développement qui comprend des usages résidentiels doit être situé sur une propriété d'au moins deux acres. | ||
| Prix | 1 353 954 $ CAD |
| Type de vente | Propriétaire utilisateur |
| Nombre de lots | 1 |
| Type de propriété | Terrain |
| Sous-type de propriété | Terrain commercial |
| Taille totale du lot | 20,32 AC |
| Nombre d’étages | 1 |
| Zonage | CRR C, CB RM, CB - Dans la zone CRR, tout développement qui comprend des usages résidentiels doit être situé sur une propriété d'au moins deux acres. |
1 Lot disponible
Lot
| Prix | 1 353 954 $ CAD | Taille du lot | 20,32 AC |
| Prix par AC | 66 631,58 $ CAD |
| Prix | 1 353 954 $ CAD |
| Prix par AC | 66 631,58 $ CAD |
| Taille du lot | 20,32 AC |
PRIX À VENDRE ! DES LOTS SONT PRÊTS À ÊTRE MIS EN VALEUR !
1 1
Impôts fonciers
| Numéro de lot | 07-019262 | Évaluation des bâtiments | 52 243 $ CAD (2025) |
| Évaluation du terrain | 162 064 $ CAD (2025) | Évaluation totale | 214 308 $ CAD (2025) |
Impôts fonciers
Numéro de lot
07-019262
Évaluation du terrain
162 064 $ CAD (2025)
Évaluation des bâtiments
52 243 $ CAD (2025)
Évaluation totale
214 308 $ CAD (2025)
1 de 4
Vidéos
Visite extérieure 3D Matterport
Visite 3D Matterport
Photos
Vue depuis la rue
Rue
Carte
1 de 1
Présenté par
6845 Hungerford Rd
Vous êtes déjà membre? Connectez-vous
Hmm, il semble y avoir eu une erreur lors de l’envoi de votre message. Veuillez réessayer.
Merci! Votre message a été envoyé.
Votre message a été envoyé !
Activez votre compte LoopNet dès maintenant pour suivre les propriétés, recevoir des alertes en temps réel, gagner du temps sur vos demandes futures et bien plus encore.



