Se Connecter/S’inscrire
Votre courriel a été envoyé.
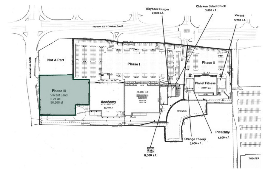
6890 Pleasant Hill Rd
Olive Branch, MS 38654
Terrain À vendre
·
2,21 AC


Certaines informations ont été traduites automatiquement.
Faits saillants de l'investissement
- Emplacement privilégié avec dénombrement de trafic décent
Résumé de l'annonce
Rejoignez les détaillants de la région Target, Academy Sports, Hobby Lobby, Home Goods, TJMaxx, Michaels, Ross et plus encore. L'intersection signalisée au chemin Pleasant Hill offre une excellente entrée et une sortie sur le site.
Faits sur la propriété
| Type de vente | Investissement | Sous-type de propriété | Terrain commercial |
| Nombre de lots | 1 | Utilisation proposée | |
| Type de propriété | Terrain | Taille totale du lot | 2,21 AC |
| Zonage | Commercial - Commerciale | ||
| Type de vente | Investissement |
| Nombre de lots | 1 |
| Type de propriété | Terrain |
| Sous-type de propriété | Terrain commercial |
| Utilisation proposée | |
| Taille totale du lot | 2,21 AC |
| Zonage | Commercial - Commerciale |
1 Lot disponible
Lot
| Prix | 2 466 168 $ CAD | Taille du lot | 2,21 AC |
| Prix par AC | 1 115 912,93 $ CAD |
| Prix | 2 466 168 $ CAD |
| Prix par AC | 1 115 912,93 $ CAD |
| Taille du lot | 2,21 AC |
Située sur l'autoroute 302 avec plus de 37 000 volets par jour, cette parcelle de 2,2 acres offre la possibilité d'un développement Big Box
Description
Cette parcelle de 2,2 acres, située sur l'autoroute 302 avec plus de 37 000 véhicules par jour (VPV), offre un potentiel de développement de premier ordre pour un projet de vente au détail Big Box. Le site bénéficie d'une intersection signalisée au chemin Pleasant Hill, ce qui assure un accès facile et pratique à l'entrée et à la sortie.
Impôts fonciers
| Numéro de lot | 1077361300000300 | Évaluation des bâtiments | 0 $ CAD |
| Évaluation du terrain | 159 995 $ CAD | Évaluation totale | 159 995 $ CAD |
Impôts fonciers
Numéro de lot
1077361300000300
Évaluation du terrain
159 995 $ CAD
Évaluation des bâtiments
0 $ CAD
Évaluation totale
159 995 $ CAD
1 de 3
Vidéos
Visite extérieure 3D Matterport
Visite 3D Matterport
Photos
Vue depuis la rue
Rue
Carte
