Votre courriel a été envoyé.
7 Drumfearn Lot • Résidentiel • 8,44 Acres • 240 972 $ CAD • Isle Of Skye IV43 8QZ


Certaines informations ont été traduites automatiquement.
Faits saillants de l'investissement
- Localité rurale
- Paysages spectaculaires
- 10 milles du pont Skye
Résumé de l'annonce
Faits sur la propriété Vente en attente
| Prix | 240 972 $ CAD | Type de propriété | Terrain |
| Type de vente | Investissement | Sous-type de propriété | Résidentiel |
| Ancienneté | Pleine propriété | Taille totale du lot | 8,44 AC |
| Nombre de lots | 1 |
| Prix | 240 972 $ CAD |
| Type de vente | Investissement |
| Ancienneté | Pleine propriété |
| Nombre de lots | 1 |
| Type de propriété | Terrain |
| Sous-type de propriété | Résidentiel |
| Taille totale du lot | 8,44 AC |
1 Lot disponible
Lot
| Prix | 240 972 $ CAD | Taille du lot | 8,44 AC |
| Prix par AC | 28 551,17 $ CAD |
| Prix | 240 972 $ CAD |
| Prix par AC | 28 551,17 $ CAD |
| Taille du lot | 8,44 AC |
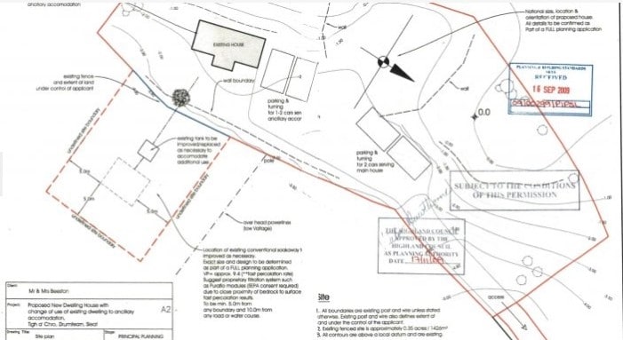
The Outcultures, ½ 7 Drumfearn est une terre nue occupée par un propriétaire foncier qui s'étend sur environ 8,44 acres (ce qui sera confirmé par un titre de propriété).
Description
Drumfearn est un canton traditionnel de crofting, offrant la paix et la tranquillité d'un endroit rural, mais à seulement 6 milles des commodités de Broadford et à seulement 10 milles du pont Skye. La péninsule de Sleat, située au sud de l'île, est connue sous le nom de jardin de Skye en raison de son abondance d'arbres qui sont en grande partie absents dans d'autres régions de l'île. La région est populaire en raison de ses paysages spectaculaires, de la variété des promenades dans la région, de sa faune et de sa proximité avec le pont Skye et le continent. Il y a aussi un service régulier de traversier toute l'année entre Mallaig et Armadale. Les liaisons ferroviaires vers Inverness et Glasgow sont disponibles auprès de Kyle of Lochalsh et de Mallaig. Il y a une école primaire dans la région ainsi qu'une boutique d'artisanat, un magasin de village à Armadale, une station-service et un bureau de poste. Une gamme plus large d'installations est disponible à Broadford et à Kyle of Lochalsh. Un service d'autobus scolaire est disponible pour emmener les enfants plus âgés à l'école secondaire de Portree.
Présenté par
7 Drumfearn
Hmm, il semble y avoir eu une erreur lors de l’envoi de votre message. Veuillez réessayer.
Merci! Votre message a été envoyé.
