Se Connecter/S’inscrire
Votre courriel a été envoyé.
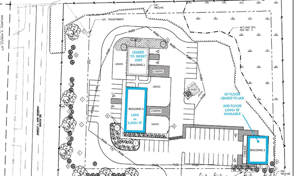
7 Maclellan Dr
Eliot, ME 03903
Building 3 · Bureau/Commerce de détail Propriété À louer
·
3 200 pi²


Certaines informations ont été traduites automatiquement.
Faits saillants
- Excellente occasion de personnaliser les services en fonction des besoins de votre entreprise
- Emplacement à haute visibilité le long de la route 236 avec dénombrement du trafic de 15 560± VPD (MDOT)
- Joignez-vous aux locataires, Sweet Dirt et JAR !
- À proximité de l'autoroute I-95 !
Faits sur la propriété
| Superficie totale disponible | 3 200 pi² | Superficie commerciale brute | 3 200 pi² |
| Min. divisible | 1 600 pi² | Année de construction | 2028 |
| Type de propriété | Commerce de détail | État de la construction | Proposé |
| Superficie totale disponible | 3 200 pi² |
| Min. divisible | 1 600 pi² |
| Type de propriété | Commerce de détail |
| Superficie commerciale brute | 3 200 pi² |
| Année de construction | 2028 |
| État de la construction | Proposé |
À propos de la propriété
Détail/Bureau
1 de 5
Vidéos
Visite extérieure 3D Matterport
Visite 3D Matterport
Photos
Vue depuis la rue
Rue
Carte
