Se Connecter/S’inscrire
Votre courriel a été envoyé.
Harbor Village - All Lots 7000 Gasparilla Rd Terrain à louer de 1,1–23,4 acres • Terrain commercial • Port Charlotte, FL 33981



Certaines informations ont été traduites automatiquement.
FAITS SAILLANTS
- Comprend plus de 1 500 pieds de façade sur le chemin McCall (776).
- Multiple parcels available for commercial, residential, and multifamily development ranging from ±1.1 to ±6.34 acres
- Build-to-suit and land lease options available with flexible parcel configurations
- Le McCall RD/776 est une artère principale du comté de Charlotte qui permet à la région côtière d'accéder directement à l'US-41 et à l'I-75.
- Zoned CG with drainage and utility easements in place, offering streamlined development potential
- Surrounded by major retailers including Publix, Walmart, Walgreens, and RaceTrac, enhancing visibility and consumer draw
LOT Disponible
Afficher les taux de location en
| Taux de location |
|
Taille du lot | 1,10 à 23,40 AC |
| Durée du bail | Négociable |
| Taux de location | |
| Durée du bail | Négociable |
| Taille du lot | 1,10 à 23,40 AC |
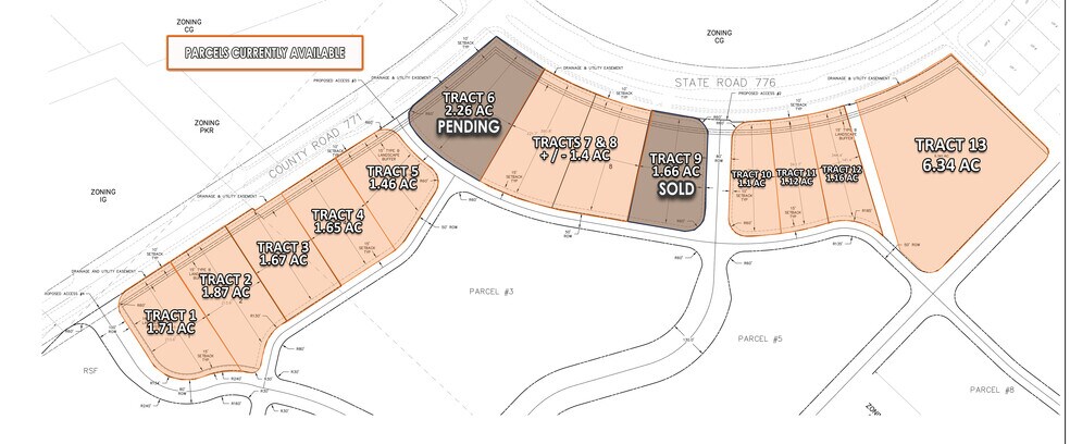
ALL LOTS AVAILABLE FOR BUILD-TO-SUIT OR LAND LEASE Tract 1: 1.71 AC Tract 2: 1.87 AC Tract 3: 1.67 AC Tract 4: 1.65 AC Tract 5: 1.46 AC Tract 6: PENDING Tracts 7 & 8: +/- 1.4 AC Tract 9: SOLD Tract 10: 1.10 AC Tract 11: 1.12 AC Tract 12: 1.16 AC Tract 13: 6.34 AC
FAITS SUR LA PROPRIÉTÉ
1 1
1 de 9
VIDÉOS
VISITE EXTÉRIEURE 3D MATTERPORT
VISITE 3D MATTERPORT
PHOTOS
VUE DEPUIS LA RUE
RUE
CARTE
1 de 1
Présenté par
Harbor Village - All Lots | 7000 Gasparilla Rd
Vous êtes déjà membre? Connectez-vous
Hmm, il semble y avoir eu une erreur lors de l’envoi de votre message. Veuillez réessayer.
Merci! Votre message a été envoyé.
