Se Connecter/S’inscrire
Votre courriel a été envoyé.
Lot 7 - Harbor Village Retail Parcels 7000 Gasparilla Rd Terrain à louer de 1,4 acres • Terrain commercial • Port Charlotte, FL 33981



Certaines informations ont été traduites automatiquement.
Faits saillants
- Comprend plus de 1 500 pieds de façade sur le chemin McCall (776).
- La rue McCall RD/776 est une artère principale du comté de Charlotte qui permet à la région côtière d'accéder directement aux États-Unis 41 et I-75.
LOT Disponible
Afficher les taux de location en
| Taux de location |
|
Taille du lot | 1,40 AC |
| Durée du bail | Négociable |
| Taux de location | |
| Durée du bail | Négociable |
| Taille du lot | 1,40 AC |
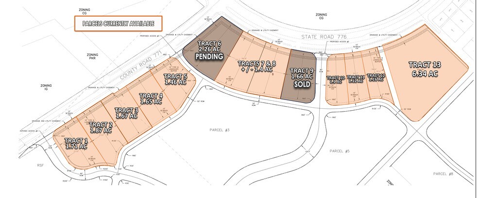
ALL AVAILABLE TRACTS Tract 1: 1.71 AC Tract 2: 1.87 AC Tract 3: 1.67 AC Tract 4: 1.65 AC Tract 5: 1.46 AC Tract 6: PENDING Tracts 7 & 8: +/- 1.4 AC Tract 9: SOLD Tract 10: 1.10 AC Tract 11: 1.12 AC Tract 12: 1.16 AC Tract 13: 6.34 AC
Faits sur la propriété
1 1
1 de 4
Vidéos
Visite extérieure 3D Matterport
Visite 3D Matterport
Photos
Vue depuis la rue
Rue
Carte
1 de 1
Présenté par
Lot 7 - Harbor Village Retail Parcels | 7000 Gasparilla Rd
Vous êtes déjà membre? Connectez-vous
Hmm, il semble y avoir eu une erreur lors de l’envoi de votre message. Veuillez réessayer.
Merci! Votre message a été envoyé.
Votre message a été envoyé !
Activez votre compte LoopNet dès maintenant pour suivre les propriétés, recevoir des alertes en temps réel, gagner du temps sur vos demandes futures et bien plus encore.
