Se Connecter/S’inscrire
Votre courriel a été envoyé.
7000 Gasparilla Rd
Port Charlotte, FL 33981
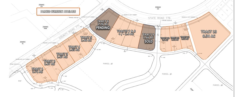
Lot 6 - Harbor Village Retail Parcels · Terrain À louer


Certaines informations ont été traduites automatiquement.
Faits saillants
- Comprend plus de 1 500 pieds de façade sur le chemin McCall (776).
- La rue McCall RD/776 est une artère principale du comté de Charlotte qui permet à la région côtière d'accéder directement aux États-Unis 41 et I-75.
Faits sur la propriété
1 de 4
Vidéos
Visite extérieure 3D Matterport
Visite 3D Matterport
Photos
Vue depuis la rue
Rue
Carte
