Se Connecter/S’inscrire
Votre courriel a été envoyé.
701 A Ave 78 237 pi² 100% Loué Industriel Immeuble Grundy Center, IA 50638 2 422 875 $ CAD (30,97 $ CAD/pi²)



Certaines informations ont été traduites automatiquement.
RÉSUMÉ DE L'ANNONCE
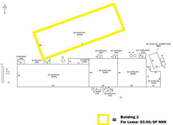
Located in Grundy Center, Iowa—the county seat of Grundy County in East Central Iowa—this ±75,000 square foot industrial manufacturing and warehouse facility offers a unique combination of turnkey infrastructure and investment potential. Situated along Highway 14, just seven miles south of Highway 20 with direct access to I-35 and I-380, the property is ideally positioned for regional and national distribution. The facility includes approximately 23,000 square feet of former SQF and Kosher Certified food-grade production space, over 50,000 square feet of warehouse, and dedicated office and locker room areas to support operations. Key features include eight dock-high doors, two at-grade drive-in doors, a wet sprinkler system throughout, and an ESFR sprinkler system covering 30,000 square feet of warehouse space. As an added benefit to investors, WAVEtek Process Technology will lease back 45,000 square feet at $3.00 per square foot NNN for a term of 36 months from the date of closing, providing immediate income and operational stability. This is an excellent opportunity for users or investors seeking high-quality industrial space in a strategic Iowa location.
FAITS SUR LA PROPRIÉTÉ
| Prix | 2 422 875 $ CAD | Classe d’immeuble | B |
| Prix par pi² | 30,97 $ CAD | Taille du lot | 4,23 AC |
| Type de vente | Investissement | Aire du bâtiment louable | 78 237 pi² |
| Type de propriété | Industriel | Nombre d’étages | 1 |
| Sous-type de propriété | Centre de distribution | Année de construction/rénovation | 1950/2007 |
| Zonage | M-2 | ||
| Prix | 2 422 875 $ CAD |
| Prix par pi² | 30,97 $ CAD |
| Type de vente | Investissement |
| Type de propriété | Industriel |
| Sous-type de propriété | Centre de distribution |
| Classe d’immeuble | B |
| Taille du lot | 4,23 AC |
| Aire du bâtiment louable | 78 237 pi² |
| Nombre d’étages | 1 |
| Année de construction/rénovation | 1950/2007 |
| Zonage | M-2 |
COMMODITÉS
- Glacière
Impôts fonciers
| Numéros de lot | Évaluation des bâtiments | 1 009 291 $ CAD | |
| Évaluation du terrain | 79 869 $ CAD | Évaluation totale | 1 089 160 $ CAD |
Impôts fonciers
Numéros de lot
Évaluation du terrain
79 869 $ CAD
Évaluation des bâtiments
1 009 291 $ CAD
Évaluation totale
1 089 160 $ CAD
1 de 9
VIDÉOS
VISITE EXTÉRIEURE 3D MATTERPORT
VISITE 3D MATTERPORT
PHOTOS
VUE DEPUIS LA RUE
RUE
CARTE
Présenté par
701 A Ave
Vous êtes déjà membre? Connectez-vous
Hmm, il semble y avoir eu une erreur lors de l’envoi de votre message. Veuillez réessayer.
Merci! Votre message a été envoyé.

