Votre courriel a été envoyé.
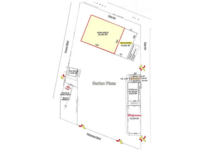
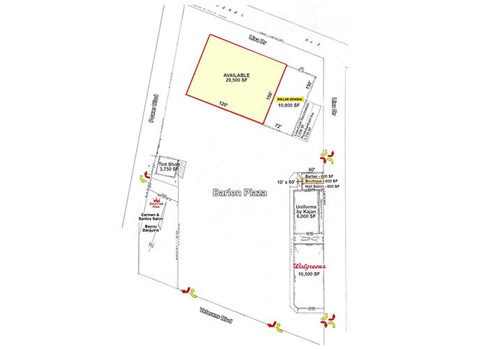
7119-7135 Veterans Memorial Blvd
Metairie, LA 70003
Commerce de détail Propriété À louer
·
29 100 pi²


Certaines informations ont été traduites automatiquement.
FAITS SAILLANTS
- pylon signage
- Spaces of various sizes
- well-traveled corridor
FAITS SUR LA PROPRIÉTÉ
| Superficie totale disponible | 29 100 pi² | Superficie totale du terrain | 5,40 AC |
| Type de propriété | Commerce de détail | Année de construction | 1970 |
| Superficie commerciale brute | 42 503 pi² |
| Superficie totale disponible | 29 100 pi² |
| Type de propriété | Commerce de détail |
| Superficie commerciale brute | 42 503 pi² |
| Superficie totale du terrain | 5,40 AC |
| Année de construction | 1970 |
À PROPOS DE LA PROPRIÉTÉ
Located on the trade area’s primary retail corridor, Barlon Plaza benefits from high visibility and easy access via Veterans Blvd (33,411 CPD) and Power Blvd, and convenient access along Interstate 10 (144,909 CPD). Its central location to a wide population base and good retail synergy, make this essential retail destination a great fit for any retailer looking in the market. The center features ample parking and hosts long-term tenants Walgreens, Dollar General, and Uniforms by Kajan. Landlord is planning upgrades throughout the center including new façades and parking lot recoating and restriping. Barlon Plaza Shopping Center is an essential retail destination along a vibrant Metairie commercial corridor. Placer.ai reports show retailers in this stretch of Veterans Blvd rank in the top 10 in Louisiana.
