Se Connecter/S’inscrire
Votre courriel a été envoyé.
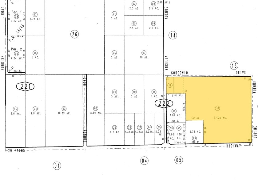
71800 Twentynine Palms Hwy
Twentynine Palms, CA 92277
CG Zoned Acreage · Terrain À vendre
·
28,06 AC


Certaines informations ont été traduites automatiquement.
Faits saillants de l'investissement
- Superficie totale du terrain : ± 28,06 acres (± 1 222 228 PF)
- La ville de Twentynine Palms abrite la plus grande base maritime d'Amérique avec plus de 12 500 militaires
- Visibilité sur les rues principales
- Façades de l'autoroute
- Accès immédiat au centre-ville de Twentynine Palms, au parc national Joshua Tree, à la base marine, à l'aéroport de Yucca Valley et au centre communautaire Project Phoenix
Résumé de l'annonce
Terrain de 28,06 acres à vendre avec façade d'autoroute à Twentynine Palms.
Faits sur la propriété
| Type de vente | Investissement ou propriétaire utilisateur | Utilisation proposée | Commercial |
| Nombre de lots | 1 | Taille totale du lot | 28,06 AC |
| Type de propriété | Terrain | Rues transversales | Lupine Ave |
| Sous-type de propriété | Terrain commercial | ||
| Zonage | CG | ||
| Type de vente | Investissement ou propriétaire utilisateur |
| Nombre de lots | 1 |
| Type de propriété | Terrain |
| Sous-type de propriété | Terrain commercial |
| Utilisation proposée | Commercial |
| Taille totale du lot | 28,06 AC |
| Rues transversales | Lupine Ave |
| Zonage | CG |
1 Lot disponible
Lot
| Prix | 2 529 043 $ CAD | Taille du lot | 28,06 AC |
| Prix par AC | 90 129,81 $ CAD |
| Prix | 2 529 043 $ CAD |
| Prix par AC | 90 129,81 $ CAD |
| Taille du lot | 28,06 AC |
Superficie totale du terrain : ± 28,06 acres (± 1 222 228 PF)
Impôts fonciers
| Numéros de lot | Évaluation des bâtiments | 0 $ CAD | |
| Évaluation du terrain | 698 355 $ CAD | Évaluation totale | 698 355 $ CAD |
Impôts fonciers
Numéros de lot
Évaluation du terrain
698 355 $ CAD
Évaluation des bâtiments
0 $ CAD
Évaluation totale
698 355 $ CAD
1 de 3
Vidéos
Visite extérieure 3D Matterport
Visite 3D Matterport
Photos
Vue depuis la rue
Rue
Carte
