Se Connecter/S’inscrire
Votre courriel a été envoyé.
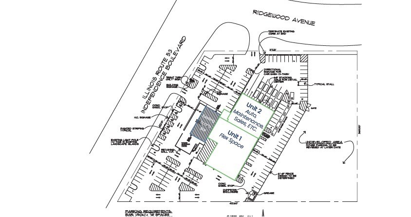
721 Independence Blvd
Romeoville, IL 60446
Flex Propriété À louer
·
6 624 pi²


Certaines informations ont été traduites automatiquement.
Faits saillants
- Visibilité élevée
- Stationnement lourd
- Mises en page et conception flexibles
Caractéristiques
Baies d’entrée
9
Places de stationnement standard
100
Aperçu de la propriété
Propriété unique avec un potentiel varié ; • Centre de lavage et de détail pour auto/camion • Entretien des véhicules légers • Entrepreneurs qui vendent au détail Stationnement lourd Terrain clôturé de 1 acre
Faits sur la propriété
Taille du bâtiment
20 401 pi²
Taille du lot
3,99 AC
Année de construction
1980
Construction
Maçonnerie
Zonage
B-3
1 de 4
Vidéos
Visite extérieure 3D Matterport
Visite 3D Matterport
Photos
Vue depuis la rue
Rue
Carte
