Se Connecter/S’inscrire
Votre courriel a été envoyé.
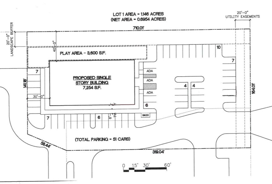
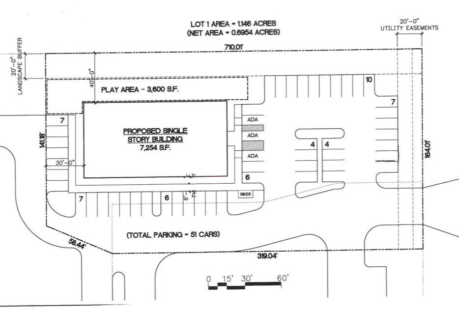
724 S Lindsay Rd - Lindsay & Warner Lot • Terrain commercial • 1,15 Acres • 1 176 749 $ CAD • Gilbert, AZ 85296


Certaines informations ont été traduites automatiquement.
RÉSUMÉ DE L'ANNONCE
Intersection de vente au détail hautement souhaitable avec Albertsons Grocery, Goodwill et CVS Drug.
Nord de la North West Company de Lindsay et Warner. Situé à côté de Big-O Tires
Nord de la North West Company de Lindsay et Warner. Situé à côté de Big-O Tires
FAITS SUR LA PROPRIÉTÉ
1 LOT DISPONIBLE
Lot
| Prix | 1 176 749 $ CAD | Taille du lot | 1,15 AC |
| Prix par AC | 1 026 831,17 $ CAD |
| Prix | 1 176 749 $ CAD |
| Prix par AC | 1 026 831,17 $ CAD |
| Taille du lot | 1,15 AC |
Niveau plat, allée avec accès à la rue déjà sur la propriété, eau et égout sur la propriété, électricité adjacente à la propriété.
1 1
Impôts fonciers
| Numéro de lot | 309-12-493 | Évaluation des bâtiments | 0 $ CAD |
| Évaluation du terrain | 84 609 $ CAD | Évaluation totale | 84 609 $ CAD |
Impôts fonciers
Numéro de lot
309-12-493
Évaluation du terrain
84 609 $ CAD
Évaluation des bâtiments
0 $ CAD
Évaluation totale
84 609 $ CAD
1 de 3
VIDÉOS
VISITE EXTÉRIEURE 3D MATTERPORT
VISITE 3D MATTERPORT
PHOTOS
VUE DEPUIS LA RUE
RUE
CARTE
1 de 1
Présenté par
724 S Lindsay Rd - Lindsay & Warner
Vous êtes déjà membre? Connectez-vous
Hmm, il semble y avoir eu une erreur lors de l’envoi de votre message. Veuillez réessayer.
Merci! Votre message a été envoyé.
