Votre courriel a été envoyé.
7251 E 14 Mile Rd
Sterling Heights, MI 48312
Terrain À vendre
·
2,50 AC


Certaines informations ont été traduites automatiquement.
Faits saillants de l'investissement
- La propriété est stratégiquement positionnée dans un point de vente de Walmart et entourée d'autres détaillants nationaux.
- Non seulement le site offre plusieurs points d'entrée et de sortie au large de 14 Mile et de Van Dyke, mais l'intersection affiche également plus de 65 000 VPJ.
- Situé à Sterling Heights, la deuxième plus grande banlieue de la région métropolitaine de Detroit et la quatrième plus grande ville du Michigan.
Résumé de l'annonce
Faits sur la propriété
1 Lot disponible
Lot
| Prix | 408 646 $ CAD | Taille du lot | 2,50 AC |
| Prix par AC | 163 458,32 $ CAD |
| Prix | 408 646 $ CAD |
| Prix par AC | 163 458,32 $ CAD |
| Taille du lot | 2,50 AC |
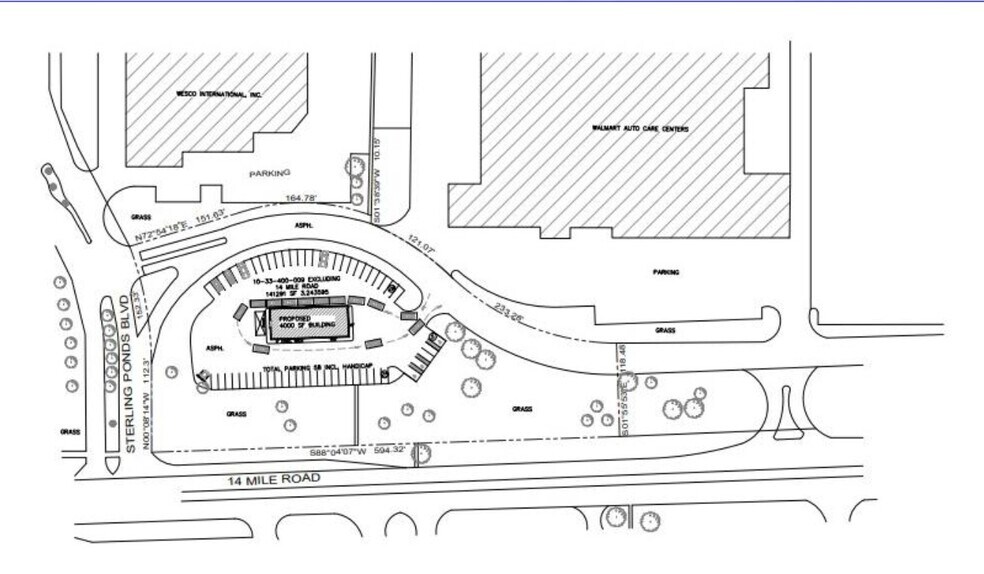
2.50 Terrain AC le long de 14 Mile Road à Warren, au Michigan. Ancien poste de travail de McDonald's.
Description
Le 7251 14 Mile Road à Sterling Heights, au Michigan, est un chemin de 2,50 AC, construit pour convenir aux terrains aménagés le long de 14 Mile Road à Warren, au Michigan. La propriété est stratégiquement située dans une zone de Walmart et entourée d'autres détaillants nationaux, tels que Menards, Value city Furniture, Auto Zone et Aldi. Le site est situé à Sterling Heights, la deuxième plus grande banlieue de la région métropolitaine de Detroit et la quatrième plus grande ville du Michigan. Cet emplacement offre une base démographique importante et une population diversifiée, offrant un large éventail de clients potentiels. Non seulement le site offre plusieurs points d'entrée et de sortie au large de 14 Mile et de Van Dyke, mais l'intersection affiche également plus de 65 000 volets par jour.
