Votre courriel a été envoyé.
730 N Ridgeview Rd - Heritage Crossings Lots • Terrain commercial • 0,46-1,65 Acre • 413 263 $-1 482 358 $ CAD par lot • Olathe, KS 66061


Certaines informations ont été traduites automatiquement.
Faits saillants de l'investissement
- Situé au centre de la ville d'Olathe.
Résumé de l'annonce
Faits sur la propriété
3 Lots disponibles
Lot
| Prix | 413 263 $ CAD | Taille du lot | 0,46 AC |
| Prix par AC | 898 398,83 $ CAD |
| Prix | 413 263 $ CAD |
| Prix par AC | 898 398,83 $ CAD |
| Taille du lot | 0,46 AC |
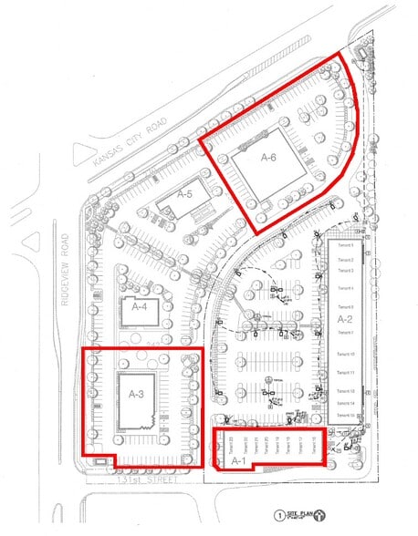
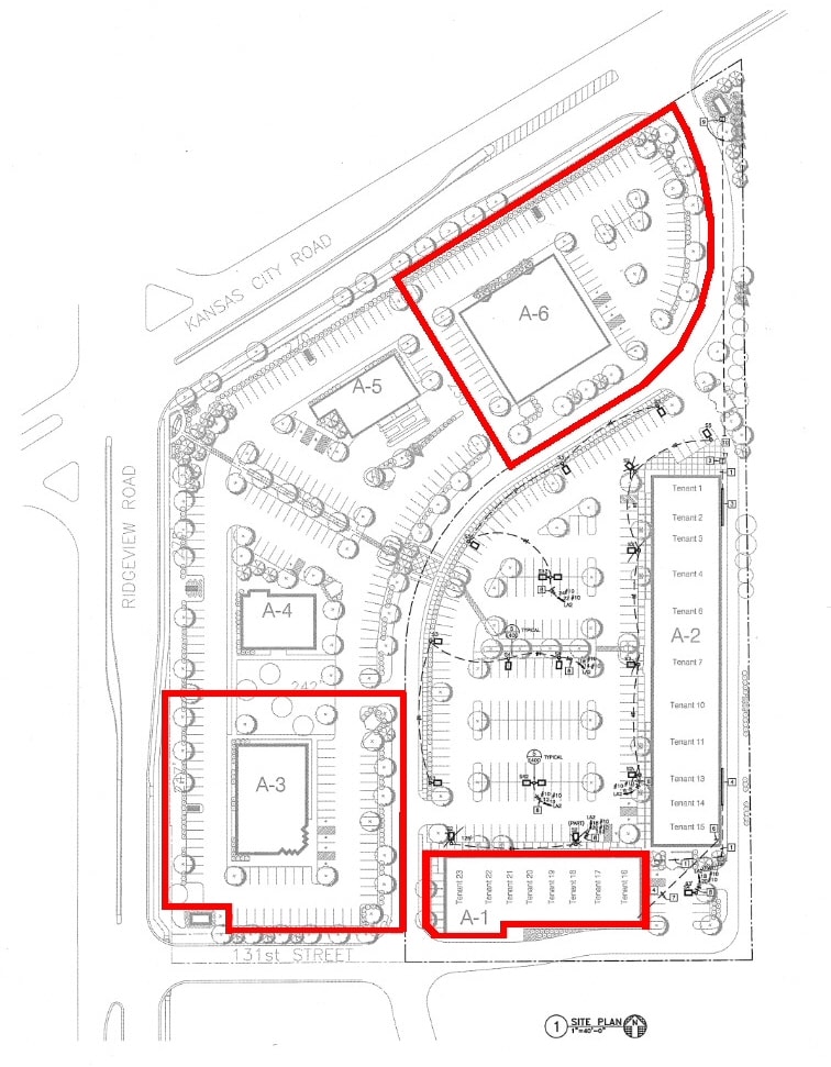
Il y a deux parcelles de +/- 1,5 acre (qui peuvent être divisées davantage) zonées CP-2 qui sont développées et prêtes pour la construction.
Lot
| Prix | 1 419 470 $ CAD | Taille du lot | 1,58 AC |
| Prix par AC | 898 398,83 $ CAD |
| Prix | 1 419 470 $ CAD |
| Prix par AC | 898 398,83 $ CAD |
| Taille du lot | 1,58 AC |
Lots can be divided further, zoned CP-2, developed and ready for construction.
Lot
| Prix | 1 482 358 $ CAD | Taille du lot | 1,65 AC |
| Prix par AC | 898 398,83 $ CAD |
| Prix | 1 482 358 $ CAD |
| Prix par AC | 898 398,83 $ CAD |
| Taille du lot | 1,65 AC |
Lots can be divided further, zoned CP-2, developed and ready for construction.
Description
Heritage Crossing offers three prime pad sites ranging from approximately 0.46 to 1.65 acres in one of Olathe’s most dynamic retail corridors. Positioned within a thriving commercial hub, these sites provide excellent visibility and accessibility, making them ideal for retail, service, or medical uses. The development is anchored by established businesses including Johnson County DMV, Goodcents, Hahn Vision, and Upcare Dentistry, ensuring steady traffic and strong co-tenancy. With options for sale, build-to-suit, or ground lease, these pads deliver flexibility for developers and end-users alike. Located near major thoroughfares and surrounded by growing residential communities, Heritage Crossing combines strategic positioning with long-term growth potential in Johnson County’s vibrant market.
Présenté par
730 N Ridgeview Rd - Heritage Crossings
Hmm, il semble y avoir eu une erreur lors de l’envoi de votre message. Veuillez réessayer.
Merci! Votre message a été envoyé.

