Se Connecter/S’inscrire
Votre courriel a été envoyé.
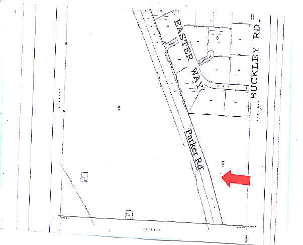
7400 S Parker Rd Lot • Terrain commercial • 16,2 Acres • 13 773 099 $ CAD • Aurora, CO 80016


Certaines informations ont été traduites automatiquement.
RÉSUMÉ DE L'ANNONCE
Retour sur le marché : Actuellement zonés R R Future MP et commercial Village.
Idéal pour les concessionnaires automobiles franchisés tels que Mercedes ou BMW, Carmax ou toute autre franchise. Une entente de non-divulgation est requise par l'acheteur avant qu'il ne reçoive tout document de diligence raisonnable. Les agents/courtiers de l'acheteur et de l'acheteur sont responsables de vérifier toutes les informations, y compris les mesures, les écoles, la HOA, les règles, les honoraires/règlements (le cas échéant), les taxes, etc. Veuillez appeler le courtier en vente pour toute question.
Très rare occasion de posséder 16 200 acres située dans la ville de Foxfield, dans le comté d'Arapahoe, entre la caserne de pompiers et les lotissements Chenango sur Parker Road, c'est une propriété remarquable qui a le potentiel d'être transformée en PUD mix et assortie Excellente visibilité sur Parker Road, c'est un emplacement parfait avec la meilleure visibilité des montagnes Rocheuses depuis Parker Road Idéal pour les promoteurs, les constructeurs ou les investisseurs.
Idéal pour les concessionnaires automobiles franchisés tels que Mercedes ou BMW, Carmax ou toute autre franchise. Une entente de non-divulgation est requise par l'acheteur avant qu'il ne reçoive tout document de diligence raisonnable. Les agents/courtiers de l'acheteur et de l'acheteur sont responsables de vérifier toutes les informations, y compris les mesures, les écoles, la HOA, les règles, les honoraires/règlements (le cas échéant), les taxes, etc. Veuillez appeler le courtier en vente pour toute question.
Très rare occasion de posséder 16 200 acres située dans la ville de Foxfield, dans le comté d'Arapahoe, entre la caserne de pompiers et les lotissements Chenango sur Parker Road, c'est une propriété remarquable qui a le potentiel d'être transformée en PUD mix et assortie Excellente visibilité sur Parker Road, c'est un emplacement parfait avec la meilleure visibilité des montagnes Rocheuses depuis Parker Road Idéal pour les promoteurs, les constructeurs ou les investisseurs.
FAITS SUR LA PROPRIÉTÉ
| Prix | 13 773 099 $ CAD | Sous-type de propriété | Terrain commercial |
| Type de vente | Investissement | Utilisation proposée | |
| Nombre de lots | 1 | Taille totale du lot | 16,20 AC |
| Type de propriété | Terrain |
| Prix | 13 773 099 $ CAD |
| Type de vente | Investissement |
| Nombre de lots | 1 |
| Type de propriété | Terrain |
| Sous-type de propriété | Terrain commercial |
| Utilisation proposée | |
| Taille totale du lot | 16,20 AC |
1 LOT DISPONIBLE
Lot
| Prix | 13 773 099 $ CAD | Taille du lot | 16,20 AC |
| Prix par AC | 850 191,30 $ CAD |
| Prix | 13 773 099 $ CAD |
| Prix par AC | 850 191,30 $ CAD |
| Taille du lot | 16,20 AC |
Back on the market: Currently zoned R R Future PD and Village commercial. Ideal for Fransie Car lot.
1 1
Impôts fonciers
| Numéro de lot | 2073-29-4-00-001 | Évaluation des bâtiments | 0 $ CAD |
| Évaluation du terrain | 0 $ CAD | Évaluation totale | 556 374 $ CAD |
Impôts fonciers
Numéro de lot
2073-29-4-00-001
Évaluation du terrain
0 $ CAD
Évaluation des bâtiments
0 $ CAD
Évaluation totale
556 374 $ CAD
1 de 3
VIDÉOS
VISITE EXTÉRIEURE 3D MATTERPORT
VISITE 3D MATTERPORT
PHOTOS
VUE DEPUIS LA RUE
RUE
CARTE
1 de 1
Présenté par
A2z Realty Llc
7400 S Parker Rd
Vous êtes déjà membre? Connectez-vous
Hmm, il semble y avoir eu une erreur lors de l’envoi de votre message. Veuillez réessayer.
Merci! Votre message a été envoyé.
