Se Connecter/S’inscrire
Votre courriel a été envoyé.
Certaines informations ont été traduites automatiquement.
Caractéristiques
Hauteur libre
14’
Places de stationnement standard
12
Tous les espaces disponibles(1)
Afficher les taux de location en
- Espace
- Taille
- Terme
- Taux de location
- Utilisation de l’espace
- État
- Disponible
- Le taux inscrit peut ne pas comprendre certains services publics, les services de bâtiment et les dépenses immobilières.
- Cour
- 1 accès plain-pied
| Espace | Taille | Terme | Taux de location | Utilisation de l’espace | État | Disponible |
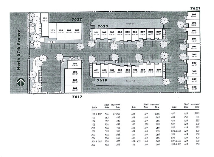
| 1er étage - 305 | 1 016 pi² | Négociable | 18,05 $ CAD/pi²/an 1,50 $ CAD/pi²/mois 18 340 $ CAD/an 1 528 $ CAD/mois | Industriel | - | Maintenant |
1er étage - 305
| Taille |
| 1 016 pi² |
| Terme |
| Négociable |
| Taux de location |
| 18,05 $ CAD/pi²/an 1,50 $ CAD/pi²/mois 18 340 $ CAD/an 1 528 $ CAD/mois |
| Utilisation de l’espace |
| Industriel |
| État |
| - |
| Disponible |
| Maintenant |
1er étage - 305
| Taille | 1 016 pi² |
| Terme | Négociable |
| Taux de location | 18,05 $ CAD/pi²/an |
| Utilisation de l’espace | Industriel |
| État | - |
| Disponible | Maintenant |
- Le taux inscrit peut ne pas comprendre certains services publics, les services de bâtiment et les dépenses immobilières.
- 1 accès plain-pied
- Cour
Faits sur l’installation entrepôt
Taille du bâtiment
8 094 pi²
Taille du lot
0,64 AC
Année de construction
1989
Construction
Maçonnerie
Zonage
M-1
Sélectionner des locataires
- Étage
- Nom du locataire
- Secteur
- 1ᵉʳ
- Aaron Electric
- Construction
- 1ᵉʳ
- Air Quality Specialists, Inc.
- Services
- 1ᵉʳ
- Classic Systems
- Services professionnels, scientifiques et techniques
- 1ᵉʳ
- Kyle Wilson Heating & Cooling
- Détaillant
- 1ᵉʳ
- Patriot Sun Control
- Détaillant
- 1ᵉʳ
- Poolside Inc.
- Services professionnels, scientifiques et techniques
- 1ᵉʳ
- Top Notch Powder Coating
- Construction
1 1
1 de 6
Vidéos
Visite extérieure 3D Matterport
Visite 3D Matterport
Photos
Vue depuis la rue
Rue
Carte
1 de 1
Présenté par
7623 N 67th Ave
Vous êtes déjà membre? Connectez-vous
Hmm, il semble y avoir eu une erreur lors de l’envoi de votre message. Veuillez réessayer.
Merci! Votre message a été envoyé.



