Se Connecter/S’inscrire
Votre courriel a été envoyé.
Certaines informations ont été traduites automatiquement.
Faits saillants de l'investissement
- Propriété industrielle de niveau
- Lots fiscaux multiples
- Secteur de nouveau développement
Résumé de l'annonce
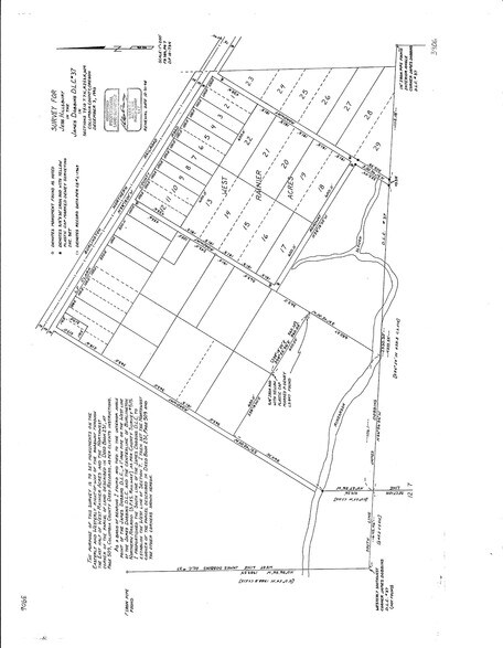
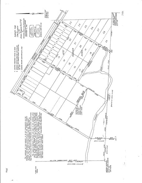
Tacts 13,14,15,16,18,19,20,21, West Rainier - Appelez le courtier en annonces pour connaître les prix. Propriété à plat et à niveau. Délimitation des milieux humides disponible. Petite maison et boutique actuellement sur la propriété. Secteur de nouveau développement. Accès facile aux autoroutes.
Faits sur la propriété
1 Lot disponible
Lot
| Prix | 2 393 475 $ CAD | Taille du lot | 20,00 AC |
| Prix par AC | 119 673,75 $ CAD |
| Prix | 2 393 475 $ CAD |
| Prix par AC | 119 673,75 $ CAD |
| Taille du lot | 20,00 AC |
Tacts 13,14,15,16,18,19,20,21, West Rainier - Appelez le courtier en annonces pour connaître les prix. Propriété à plat et à niveau. Délimitation des milieux humides disponible. Petite maison et boutique actuellement sur la propriété. Secteur de nouveau développement. Accès facile aux autoroutes.
1 1
Impraticable à pied
10/100
Exceptionnellement facile d’accès en voiture
100/100
Plutôt praticable en vélo
40/100
1 de 9
Vidéos
Visite extérieure 3D Matterport
Visite 3D Matterport
Photos
Vue depuis la rue
Rue
Carte
1 de 1
Présenté par
76412 Ege Rd
Vous êtes déjà membre? Connectez-vous
Hmm, il semble y avoir eu une erreur lors de l’envoi de votre message. Veuillez réessayer.
Merci! Votre message a été envoyé.



