Se Connecter/S’inscrire
Votre courriel a été envoyé.
Certaines informations ont été traduites automatiquement.
Résumé de l'annonce
Possibilité de réaménagement en
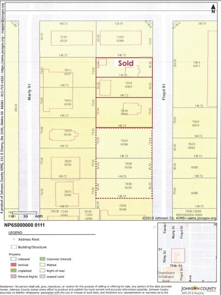
Downtown Overland Park
Comprend 3 lots (175 FF x 140,72 pi de profondeur)
5,6 Acres avec la possibilité d'ajouter un
5,6 acres supplémentaires
Tous les services publics sur place
DFD zoné (District de formulaire du centre-ville)
Downtown Overland Park
Comprend 3 lots (175 FF x 140,72 pi de profondeur)
5,6 Acres avec la possibilité d'ajouter un
5,6 acres supplémentaires
Tous les services publics sur place
DFD zoné (District de formulaire du centre-ville)
Faits sur la propriété
1 Lot disponible
Lot
| Prix | 783 029 $ CAD | Taille du lot | 0,40 AC |
| Prix par AC | 1 957 572,37 $ CAD |
| Prix | 783 029 $ CAD |
| Prix par AC | 1 957 572,37 $ CAD |
| Taille du lot | 0,40 AC |
1 1
Moyennement praticable à pied
60/100
Moyennement facile d’accès en voiture
70/100
Transports en commun limités
30/100
Plutôt praticable en vélo
50/100
Impôts fonciers
| Numéros de lot | Évaluation des bâtiments | 58 829 $ CAD | |
| Évaluation du terrain | 88 528 $ CAD | Évaluation totale | 147 357 $ CAD |
Impôts fonciers
Numéros de lot
Évaluation du terrain
88 528 $ CAD
Évaluation des bâtiments
58 829 $ CAD
Évaluation totale
147 357 $ CAD
1 de 3
Vidéos
Visite extérieure 3D Matterport
Visite 3D Matterport
Photos
Vue depuis la rue
Rue
Carte
1 de 1
Présenté par
7810-7816 Floyd St
Vous êtes déjà membre? Connectez-vous
Hmm, il semble y avoir eu une erreur lors de l’envoi de votre message. Veuillez réessayer.
Merci! Votre message a été envoyé.


