Votre courriel a été envoyé.
SEC of 79th St & 87th Ct., Justice, IL 7901 S 87th St 2 400 pi² d'espace disponible • Commerce de détail • Justice, IL 60458



Certaines informations ont été traduites automatiquement.
FAITS SAILLANTS
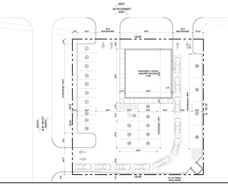
- 2400sf, bâtiment autoportant, avec Drive Thu, sur un angle de 18 228sf
- Nombre combiné de trafic 79e rue, chemin Archer et 88e avenue 58 300 VPD
- Zone densément peuplée - Population en période de jour élevé
- 18 228 pi2 sur un coin
- Panneaux de signalisation sur le pylône
DISPONIBILITÉ DE L’ESPACE (1)
Afficher les taux de location en
- ESPACE
- TAILLE
- TERME
- TAUX DE LOCATION
- TYPE DE LOYER
| Espace | Taille | Terme | Taux de location | Type de loyer | ||
| 1er étage, ste 7901 | 2 400 pi² | Négociable | 55,11 $ CAD/pi²/an 4,59 $ CAD/pi²/mois 132 269 $ CAD/an 11 022 $ CAD/mois | Loyer hypernet |
1er étage, ste 7901
Under Construction 2400sf freestanding building with drive thru. Property is located at the southwest corner of 79th St and 87th Ct., in Justice, IL. The Village of Justice is home to over 250 small businesses that include grocery, food service, restaurants and taverns, hair stylists, dry cleaners, florists, gas stations with mini marts, churches, cemeteries, a funeral home, monument companies, health care facilities, laundromats, tattoo parlors, vehicle repair establishments, construction trades, and general service business establishments. Currently under construction is the addition of TriState Tollway (I-294) northbound exit and southbound entrance ramps at 88th Avenue and is compatible with a future northbound I-294 entrance ramp from Archer Road. In addition to the new ramps, the project includes intersection improvements along 88th Avenue at 79th Street and Archer Road. The purpose of the project is to improve access to/from I-294 for residents and businesses within the Village of Justice and other adjacent communities.
- Le taux de location ne comprend pas les services publics, les services de bâtiment ou les dépenses immobilières.
- Espace embout très recherché
- Espace en excellent état
- Édifice sur pied de 2400sf avec entraînement
- Construction neuve
- Juste à côté de la rampe d'entrée de la sortie 294
- Signalisation du pylône
Types de loyers
Le type et le montant du loyer que le locataire (preneur) est tenu de payer au propriétaire (bailleur) sur la durée du bail sont négociés avant la signature du bail par les deux parties. Le type de loyer varie selon les services fournis. Par exemple, le prix d’un loyer hypernet est habituellement inférieur à celui d’un bail à service complet puisque le locataire est tenu d’assumer des dépenses additionnelles par rapport au loyer de base. Contactez le courtier inscripteur pour tout connaître sur les frais connexes et additionnels associés à chaque type de loyer.
1. Service complet: Un taux de location qui comprend des services standards liés à l’immeuble fournis par le propriétaire dans le cadre d’une location annuelle de base.
2. Loyer supernet: Le locataire paie seulement deux des frais de l’immeuble. Le propriétaire et le locataire déterminent ces frais spécifiques avant la signature du bail.
3. Loyer hypernet: Un bail en vertu duquel le locataire est responsable de tous les frais liés à sa part proportionnelle d’occupation de l’immeuble.
4. Brut modifié: Le loyer brut modifié désigne un type général de taux de location dans lequel le locataire est habituellement responsable de sa part proportionnelle d’un ou de plusieurs frais. C’est le propriétaire qui paie les frais restants. Considérez les structures tarifaires courantes suivantes applicables aux loyers bruts modifiés: 4. Plus les services: Un type de bail brut modifié suivant lequel le locataire est responsable de sa part proportionnelle des coûts des services publics, en plus du loyer. 4. Plus le nettoyage: Un type de bail brut modifié suivant lequel le locataire est responsable de sa part proportionnelle des coûts de nettoyage, en plus du loyer. 4. Plus l'électricité: Un type de bail brut modifié suivant lequel le locataire est responsable de sa part proportionnelle des coûts d’électricité, en plus du loyer. 4. Plus l’électricité et le nettoyage: Un type de bail brut modifié dans lequel le locataire est responsable de sa part proportionnelle des coûts d’électricité et de nettoyage, en plus du loyer. 4. Plus les services publics et le nettoyage: Un type de bail brut modifié dans lequel le locataire est responsable de sa part proportionnelle des coûts des services publics et de nettoyage, en plus du loyer. 4. Bail industriel brut: Un type de bail brut modifié dans lequel le locataire paie un ou plusieurs des frais, en plus du loyer. Le propriétaire et le locataire déterminent ces frais spécifiques avant la signature du bail.
5. L’électricité est à la charge du locataire: Le propriétaire paie pour tous les services et le locataire est responsable de sa propre utilisation de l’éclairage et des prises électriques dans l’espace qu’il occupe.
6. Négociable ou sur demande: Cette option est utilisée lorsque le contact de location ne précise pas le type de loyer ou de service.
7. À déterminer: À déterminer ; utilisé pour les immeubles dont le type de services ou de loyer n’est pas connu, souvent quand l’immeuble n’est pas encore construit.
FAITS SUR LA PROPRIÉTÉ
| Superficie totale disponible | 2 400 pi² | Superficie commerciale brute | 2 400 pi² |
| Type de propriété | Commerce de détail | Année de construction | 2023 |
| Sous-type de propriété | Immeuble de commerce | Ratio de stationnement | 9,58/1 000 pi² |
| Superficie totale disponible | 2 400 pi² |
| Type de propriété | Commerce de détail |
| Sous-type de propriété | Immeuble de commerce |
| Superficie commerciale brute | 2 400 pi² |
| Année de construction | 2023 |
| Ratio de stationnement | 9,58/1 000 pi² |
À PROPOS DE LA PROPRIÉTÉ
Actuellement en construction est un nouveau bâtiment autoportant de 2400pi2 avec une traversée sur un site de 18 228 pi2. La propriété est située à l'angle sud-est de la 79e rue et de la 87e Ct., à Justice, Il. et juste à côté de l'ajout en cours de construction de la voie à péage des trois États (I-294) en direction nord et des bretelles d'entrée en direction sud à la 88e Avenue qui seront compatibles avec une future autoroute I-2929 en direction nord 4 rampe d'entrée du chemin Archer. Nombre de trafic élevé ; (79e St-27,700VPD) (88e avenue - 10 800 VPD) chemin Archer (19 800 VPD)
- Lot de coin
- Enseigne sur pylône
- Service au volant
Présenté par
SEC of 79th St & 87th Ct., Justice, IL | 7901 S 87th St
Hmm, il semble y avoir eu une erreur lors de l’envoi de votre message. Veuillez réessayer.
Merci! Votre message a été envoyé.



