Se Connecter/S’inscrire
Votre courriel a été envoyé.
Certaines informations ont été traduites automatiquement.
Faits saillants de l'investissement
- Façade sur le chemin Belt Line
Résumé de l'annonce
•Comptage de la circulation, chemin Beltline 44 385 (2006)
•Emplacement privilégié sur une grande artère
•Super Wal-Mart, 1/2 pâté de maisons ouest
•Nouveau lotissement de 375 lots à l'Est
•Autres subdivisions importantes entourant le secteur
•Emplacement privilégié sur une grande artère
•Super Wal-Mart, 1/2 pâté de maisons ouest
•Nouveau lotissement de 375 lots à l'Est
•Autres subdivisions importantes entourant le secteur
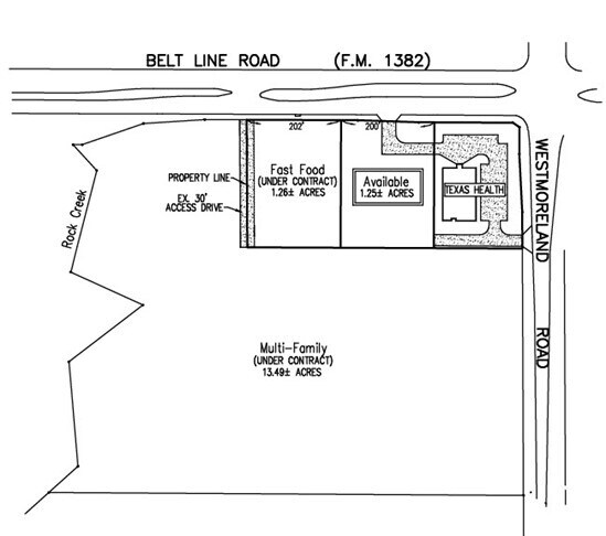
Faits sur la propriété Sous contrat
| Type de vente | Investissement | Sous-type de propriété | Terrain commercial |
| Nombre de lots | 2 | Utilisation proposée | |
| Type de propriété | Terrain | Taille totale du lot | 14,74 AC |
| Zonage | Z236 | ||
| Type de vente | Investissement |
| Nombre de lots | 2 |
| Type de propriété | Terrain |
| Sous-type de propriété | Terrain commercial |
| Utilisation proposée | |
| Taille totale du lot | 14,74 AC |
| Zonage | Z236 |
2 Lots disponibles
Lot MF
| Taille du lot | 13,49 AC |
| Taille du lot | 13,49 AC |
Lot Parcel 2
| Taille du lot | 1,25 AC |
| Taille du lot | 1,25 AC |
Impôts fonciers
| Numéro de lot | 65111934010080000 | Évaluation des bâtiments | 0 $ CAD |
| Évaluation du terrain | 1 455 098 $ CAD | Évaluation totale | 1 455 098 $ CAD |
Impôts fonciers
Numéro de lot
65111934010080000
Évaluation du terrain
1 455 098 $ CAD
Évaluation des bâtiments
0 $ CAD
Évaluation totale
1 455 098 $ CAD
1 de 3
Vidéos
Visite extérieure 3D Matterport
Visite 3D Matterport
Photos
Vue depuis la rue
Rue
Carte
Présenté par
800 W Beltline Rd - 13.49 MF
Vous êtes déjà membre? Connectez-vous
Hmm, il semble y avoir eu une erreur lors de l’envoi de votre message. Veuillez réessayer.
Merci! Votre message a été envoyé.
Votre message a été envoyé !
Activez votre compte LoopNet dès maintenant pour suivre les propriétés, recevoir des alertes en temps réel, gagner du temps sur vos demandes futures et bien plus encore.



