Se Connecter/S’inscrire
Votre courriel a été envoyé.
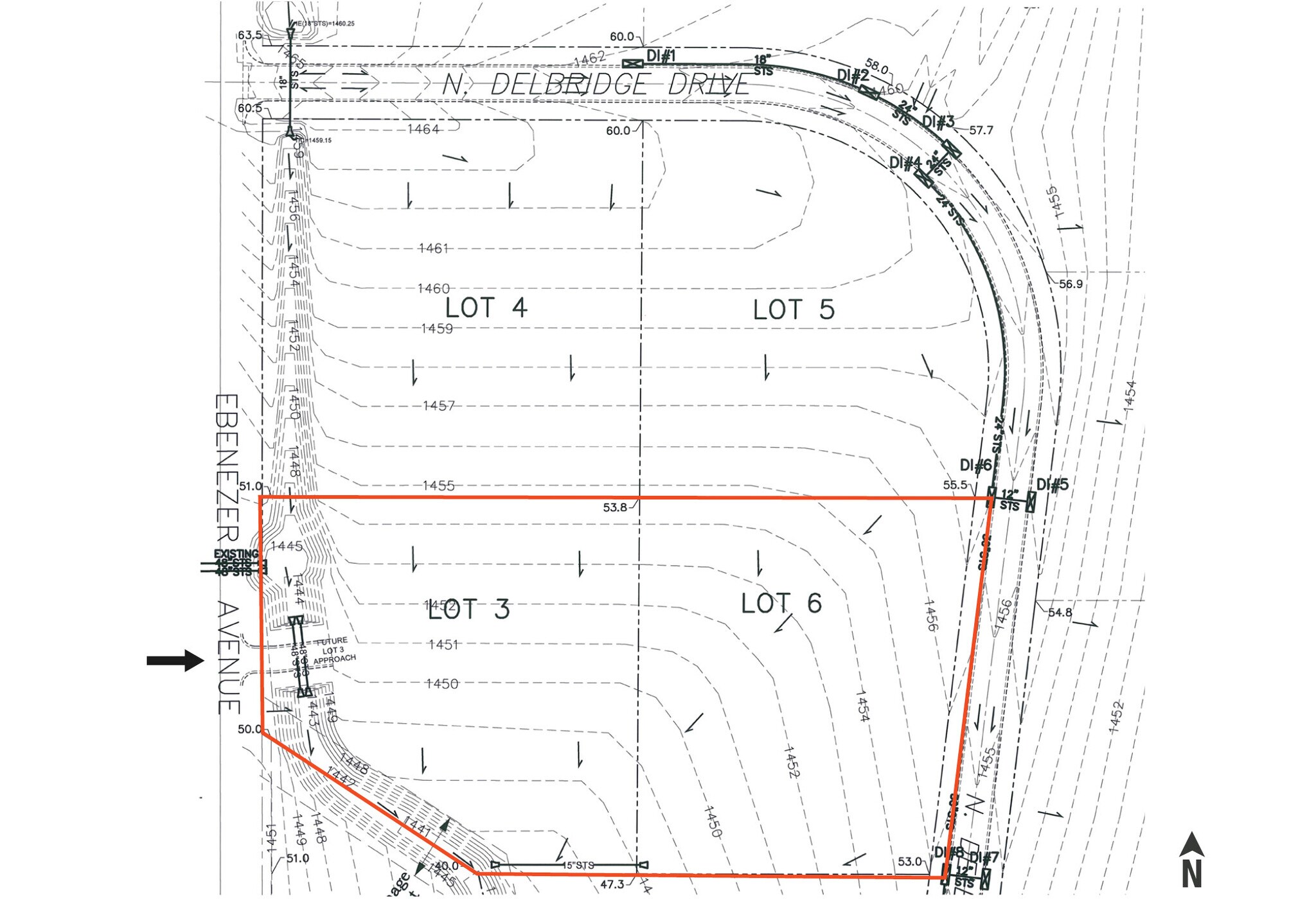
801 N Delbridge Dr
Sioux Falls, SD 57107
Madison & I-29 Land · Terrain À vendre
·
6,20 AC


Certaines informations ont été traduites automatiquement.
FAITS SAILLANTS DE L'INVESTISSEMENT
- Multiple access points to site via 12th St, S Marion Rd, and W Madison St; approach via Ebenezer Avenue
- Area neighbors include Kwik Star, Anytime Fitness, Scooter’s Coffee, Luxury Auto Mall, Godfather’s, Northern Tool, The Attic, and much more
- Supportive demographics include a daytime population of 7,253 and 1,794 housing units within a 1-mile radius
- Traffic counts of 2,900 VPD along Ebenezer Avenue
- Just south of Southeast Technical College, Jefferson High School, and the CTE Academy; near multiple public schools
RÉSUMÉ DE L'ANNONCE
6.20 acres +/- of industrial land for sale near West Madison Street and I-29 in northwest Sioux Falls. Zoned I-1 with utilities to site, an established drainage easement, and multiple access routes. Located within an Opportunity Zone and surrounded by strong commercial and educational growth.
FAITS SUR LA PROPRIÉTÉ
| Type de vente | Investissement ou propriétaire utilisateur | Sous-type de propriété | Terrain industriel |
| Nombre de lots | 1 | Taille totale du lot | 6,20 AC |
| Type de propriété | Terrain | Zone de développement économique |
Oui
|
| Zonage | l-1 - Light Industrial | ||
| Type de vente | Investissement ou propriétaire utilisateur |
| Nombre de lots | 1 |
| Type de propriété | Terrain |
| Sous-type de propriété | Terrain industriel |
| Taille totale du lot | 6,20 AC |
| Zone de développement économique |
Oui |
| Zonage | l-1 - Light Industrial |
1 LOT DISPONIBLE
Lot
| Prix | 2 212 854 $ CAD | Taille du lot | 6,20 AC |
| Prix par AC | 356 911,90 $ CAD |
| Prix | 2 212 854 $ CAD |
| Prix par AC | 356 911,90 $ CAD |
| Taille du lot | 6,20 AC |
Zoned: I-1 with utilities to site
DESCRIPTION
Prime land just off W. Madison Street & I-29 in northwest Sioux Falls, along N. Ebenezer Ave. The surrounding site has been zoned for a mix of commercial, industrial, and offices uses. Its proximity to major roadways provide connectivity throughout the MSA. Located adjacent to the Sioux Empire Fairgrounds and the Knife River Quarry.
1 de 3
VIDÉOS
VISITE EXTÉRIEURE 3D MATTERPORT
VISITE 3D MATTERPORT
PHOTOS
VUE DEPUIS LA RUE
RUE
CARTE
